존과 지니의 두마게티 다이빙 여행 5

아포섬 북쪽

by 존과 지니

2025년 1월 31일


다이빙 5일 차. 마지막 다이빙 날이다. 이제 생활 패턴이 익숙해졌는데...

늘 그렇듯이 아침 먹고 마사지 예약하고 브리핑받고 배에 탄다.


오늘은 아포섬에 간다. 아포섬과 가깝지만 생각만큼 자주 가진 않았다.


Dive#1

Dive log #146

아포섬의 북쪽에 코코넛 나무들이 모여 자란 곳이 있다. 그 앞바다가 코코넛 포인트다.


아포섬에 도착했다. 저기 섬 가운데에 코코넛숲이 보인다.


무리쉬 아이돌

점박이 박스피쉬


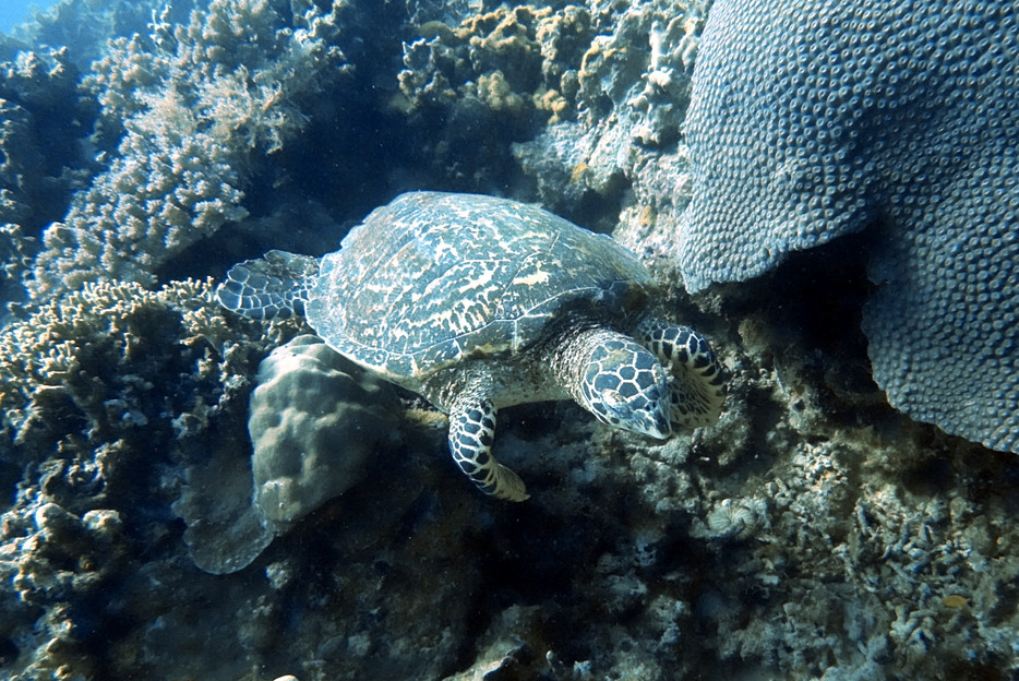
겁 없는 바다거북이 우리 다이빙 그룹을 정면으로 뚫고 지나간다.


Black and white snapper


우리 그룹이 지나가는 아래로 바다거북이 있었는데 맨 뒤에 있던 나만 발견했다. 바다거북이 흔해도 바닥에 가만있으면 발견하는 게 쉽지 않다.



Phyllodesmium briareum




Dive#2

Dive log #147

근처의 다른 지점인 라르가한 포인트에서 입수한다. 자주 보는 흔한 생물들이지만 다양하고 풍부한 포인트다.


피라미드 버터플라이피쉬


곰치


작은 물고기들


대왕조개


라쿤 버터플라이피쉬


Two spotted snapper


그린크로미스가 가득하다.



두 번째 다이빙 후에 마을 앞바다로 이동해서 점심 먹는다. 우리가 조금 늦게 출수해서 점심을 늦게 먹으니 티셔츠 파는 아주머니들이 배 밖에서 우리만 쳐다보고 있다. 점심 식사는 방해하지 않는 것이 최소한의 룰인 것 같은데 시선이 뜨겁다.


Dive#3

Dive log #148

바다가 조금 거친 지 처음 브리핑과는 다르게 아포섬 동쪽 포인트로는 가지 않는다. 아포섬의 마을 앞바다 채플 포인트보다 조금 위인 볼루아르테란 포인트로 입수한다. 지난번에는 아포섬의 남쪽 위주였으니 오늘은 북쪽 위주의 포인트 선정이다.


보홀의 발리카삭도 그렇지만 여기 아포섬에도 여기저기 기포가 올라오는 지점들이 있다.


다양한 물고기들


전기 조개


구멍 난 지형에서 지니님 사진도 찍어준다. 원래 쓰던 하얀 마스크가 침수가 생겨 내가 쓰는 마스크의 복제품을 빌렸는데 아무래도 지니님 마움에 안 드나 보다.


모래밭에는 겁 많은 가든 일들이 있다.


겁이 많기 때문에 이 정도 거리에서도 찍기 힘든 녀석들이다.


어디선가 바다뱀 한 마리가 다가왔다. 필리핀 바다에서 흔하게 볼 수 있는 녀석... 그러나 이 녀석이 우리의 마지막 다이빙을 특별하게 만들어 주었다.


계속 우리 주변을 맴돈다.


바다뱀도 코브라아과의 뱀이다. 물속에서 숨을 쉴 수 있는 생물이 아니기에 숨을 쉬러 올라간다. 이걸로 우리랑 헤어질 줄 알았는데...


사진 찍는 사이에 다시 돌아왔다.


함께 입수한 부부 중에 아주머니가 뱀을 질색하는데... 자꾸 다가온다.




산호 속에는 쏘가리 비슷한 무늬인 허니콤 그루퍼(Honeycomb grouper)들이 보인다.


물고기를 보는 사이에 그 물뱀이 또 우리한테 다가온다.


한참 같이 있다가 또 숨 쉬러 올라가고...


다시 돌아온다.


보통은 지형에 붙어서 여기저기 먹이를 찾아다니는데 우리랑 비슷한 높이에서 함께 유영을 한다. 흰검 패턴인 지니님이 좋은가보다. 공격적인 반응은 보이지 않고 그냥 쫓아다니니 신기한 경험이었다.


특별한 생물은 없었지만 특별한 바다뱀과의 다이빙으로 아포섬에서의 마지막 다이빙을 끝낸다.



마지막 다이빙이 끝났으니 직원들이 장비를 세척해 주고 우리가 한 번 더 확인하고 받아서 널어놓는다.

내일 비행기 타기 전까지 바짝 말려야 한다.


며칠 전 아침 브리핑에서 리조트 사장님이 다이빙 중에 고래상어가 지나가는 걸 보고 영상이나 사진으로 남기면 레촌, 새끼돼지 통구이를 쏜다고 했는데 그저께 고래상어가 진짜로 나타났다. 그래서 오늘 저녁 메뉴가 레촌이다.


원래 콜롬비아의 새끼돼지 통구이인 레초나에서 유래한 음식인 레촌은 필리핀에서 잔칫날에 먹는다.


물론 그 맛은 그냥 숯불에 구워 먹는 우리나라식 돼지고기가 훨씬 낫다. 특히나 돼지 삼겹살이나 껍데기를 안 먹는 지니님은 그리 좋아하지 않는 음식이라 살코기 위주로 먹는다.


필리핀에서도 여러 가지 잡부위들을 양념 해서 볶은 요리가 있다. 시식이라고 하는데 내 입맛에는 꽤 먹을만하다. 필리핀 현지 식당에서 가격이 조금 저렴한 육류 요리로 판다.


저녁을 배부르게 먹고 쉬는데 다우인 녀석이 사무실에 갇혀서 나오고 싶어 하는 게 보인다. 리조트에 동물을 무서워하는 손님이 오면 천방지축이던 녀석들이 며칠 갇혀있게 된다.



2025년 2월 1일


이제 돌아가야 하는 날이다. 다이빙하기 좋아 보이는 날씨인데 집에 가야 한다니 조금 아쉽다.


아침 먹고 다이빙 비용을 정산하고 픽업차량으로 출발한다.


올 때와 마찬가지로 갈 때도 두마게티에서 마닐라로 가서 몇 시간을 대기해서 한국행 비행기로 돌아온다. 내가 일정을 확정할 수 없어 비행기를 따로 끊었더니 두마게티에 갈 때는 지니님과 따로따로 갔지만 돌아올 때는 함께 돌아온다.


세부, 릴로안, 보홀, 말라파스쿠아, 아닐라오, 모알보알에 이어서 두마게티를 다녀왔다. 이제 우리나라에서 비교적 쉽게 갈 수 있는 필리핀의 주요 다이빙 지역은 거의 다녀온 것이라 할 수 있다. 말라파스쿠아의 환도상어, 모알보알의 정어리떼, 보홀의 잭피시 떼라는 특별한 볼거리가 있는 곳도 있지만 아닐라오 외에는 세부섬을 중심으로 동쪽의 세부 해협과 서쪽의 타뇬 해협에 있는 포인트들이었기에 수중환경도 비슷하고 볼 수 있는 생물종이 어느 정도 비슷하다고 할 수 있다.

그래서 마크로 다이빙으로 유명하다는 두마게티도 수중 환경은 비슷하겠지라는 생각과 대표적인 다이빙 포인트인 아포섬을 이틀에 한 번은 가겠지라는 생각을 가지고 찾아갔다. 그러나, 두마게티는 필리핀의 다른 지역에서 흔히 볼 수 있는 산호초 위주의 지형이 아닌, 모래 슬로프가 많은 다양하고 특이한 포인트들을 이용한 먹 다이빙을 즐기는 곳이었다. 시설 좋은 리조트에서 숙련된 스태프들의 도움으로 5일 내내 다양한 다이빙을 즐기고 돌아왔다.

keyword
매거진의 이전글존과 지니의 두마게티 다이빙 여행 4