brunch

쉬운걸 어렵게 꽈버리는 재주

다이아몬드 형태 교차로의 K-표지판

by 체스터 Chester

19번 국도를 따라 남쪽으로 진행하고 있다.

200m 전방에 교차로가 있다고 표지판이 걸려 있는데 38번 국도 제천/봉양 방향 동쪽으로 가려면 어떻게 해야 할까?

%ED%99%94%EB%A9%B4_%EC%BA%A1%EC%B2%98_2021-12-12_163021.png?type=w773


표지판 부분만 크게 보면,

%ED%99%94%EB%A9%B4_%EC%BA%A1%EC%B2%98_2021-12-12_164511.png?type=w773


직진과 우회전 동선은 표지판을 보고 알 수 있겠는데 좌회전 동선은 모르겠다. 아마도 좌회전이 안되거나, 된다면 아래의 노란색 동선처럼 직진하다 왼쪽으로 급하게 꺽어야 38번 동쪽 방향을 탈 수 있을 것 같아 보인다.

%ED%99%94%EB%A9%B4_%EC%BA%A1%EC%B2%98_2021-12-12_141444.png?type=w773

그런데 이렇게 진행하는게 맞나? 아무래도 이상하다.


조금 더 진행하니 좌회전 차로가 생긴다. 이게 제천/봉양행 차로인가?? 표지판에는 좌회전 동선이 그려져 있지 않았는데..

%ED%99%94%EB%A9%B4_%EC%BA%A1%EC%B2%98_2021-12-12_165148.png?type=w773


좌회전 차로 마지막 부분의 길바닥에 제천이라고 쓰여져 있다. 이 차로가 제천/봉향행이 맞는가 보다.

%ED%99%94%EB%A9%B4_%EC%BA%A1%EC%B2%98_2021-12-13_074255.png?type=w773


표지판이 있기는 하다. 갈라지는 구간에 거의 이르렀을 때 고가도로 벽면에 제천행이라고 두 군데 표지판을 걸어 놓았다. 시력이 엄청 좋은 운전자가 낮시간에만 알아 볼 수 있을 듯 해 보인다.

%ED%99%94%EB%A9%B4_%EC%BA%A1%EC%B2%98_2021-12-13_074333.png?type=w773

그런데 걸려 있는 두 표지판 중, 녹색 표지판은 좌회전 동선에 맞다고 볼 수 있지만 빨간색 표지판은 직진 차로 위에 걸려 있다. 직진 차로에서도 좌회전이 가능하다는걸까?


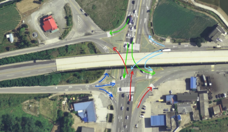
하영교차로를 네이버 지도로 살펴보았다.

%ED%99%94%EB%A9%B4_%EC%BA%A1%EC%B2%98_2021-12-12_161051.png?type=w773

19번 국도를 남쪽으로 진행(녹색 동선)하다가 38번 국도 동쪽방향으로 가려면 좌회전을 해야 하는 구조이다. 다이아몬드형 입체교차로인 듯 하지만 동선에 여유가 없고 아주 타이트하다.


아래는 전형적인 다이아몬드형 입체교차로로 14번 국도에 있는 부원교차로 모습이다.

빨간색 동선으로 북쪽으로 진행하면, 직진과 좌회전 할 수 있는 구조이고, 녹색 동선인 남쪽행도 마찬가지이다. 위의 하영교차로보다 공간적 여유가 있는 곳이다.

%ED%99%94%EB%A9%B4_%EC%BA%A1%EC%B2%98_2021-12-12_162452.png?type=w773


부원교차로의 빨간색 동선 전방에 이런 표지판이 설치되어 있다.

%ED%99%94%EB%A9%B4_%EC%BA%A1%EC%B2%98_2021-12-12_180424.png?type=w773

하영교차로의 달구지형 표지판과 동일한 방식인데 이 표지판을 보고 논리적으로 빨간색 동선의 좌회전을 유추해 낼 수 있을까? 물론 반복 학습의 결과로 그렇게 할 수 있음을 알 수 있다는 전제는 배제하도록 하자.


결국 표지판으로 해결이 되지 않으니 한국 도로의 마법사 녹색/분홍색 유도선이 나타난다.

%ED%99%94%EB%A9%B4_%EC%BA%A1%EC%B2%98_2021-12-12_185609.png?type=w773
%ED%99%94%EB%A9%B4_%EC%BA%A1%EC%B2%98_2021-12-12_191741.png?type=w773

녹색선의 목적지가 이렇게 잘 보일 때도 있지만, 차량이 많아 보지 못할 때도 많다.


한국 운전자는 땅바닥만 보고 운전하고 다닐까? 책, '이런데서 사고 나면 누구 책임? 정부에서 보상받자'에서 다뤘듯이 운전자의 시선은 전방이지 길바닥이 아닌데.. 물론 길바닥을 참조할 수는 있겠지만 주(primary)된 정보는 전방이나 오버헤드식 표지판으로 설치해 놓아야 함을 한국의 도로관리 기관에서는 모르고 있는걸까? 아니면 한국 운전자들은 어떤 상황에서도 다 해내는 슈퍼맨들?


위 표지판들은 국가 기준에 적합한 것인지 확인해 보았다.

국토부 발간 도로표지 제작설치 및 관리지침 2015년판 152 페이지에 입체교차로용 표지판이 실려 있다. 그런데 이 표지판은 위에서 언급한 하영교차로나 부원교차로의 표지판과 조금 다르다고 보여진다. 좌회전을 하려면, 고가도로를 지나 어느 정도 직진한 후 왼쪽으로 90도 꺽이는 접속구를 타야 하는 것처럼 여겨진다.

%ED%99%94%EB%A9%B4_%EC%BA%A1%EC%B2%98_2021-12-13_081113.png?type=w773


다이아몬드 형태 입체교차로의 미국 표지판은 어떨까?

%ED%99%94%EB%A9%B4_%EC%BA%A1%EC%B2%98_2021-12-12_181018.png?type=w773 좌회전 전용 차로


캐나다는? 아래는 앨버타주 캘거리에 있는 다이아몬드형 입체교차로 표지판.

%ED%99%94%EB%A9%B4_%EC%BA%A1%EC%B2%98_2021-12-12_185139.png?type=w773


미국이나 캐나다에서는 한국처럼 평면도 방식으로 되어 있는 표지판을 만날 수 없다. 아주 극히 예외를 제외하고는..

운전자가 평면도를 통한 도로 구조를 알 필요가 있을까? 아, 여기는 다이아몬드형 입체교차로이니 어떻게 해야겠고, 여기는 트럼펫형 교차로이니 직진하려면 1차로로 옮겨야 하고... 운전하려면 이렇게 해야 하는건가?

내 목적지로 가려면 저 앞에서 직진/좌회전/우회전해야 하고 그러려면 어떤 차로를 타야하는지 아는 그게 가장 중요하고, 그거면 충분하지 않나?


평면도를 보고 내가 갈 동선을 '해독'하는 방식과 척 보면 아는 방식.. 어떤 방식이 쉽고 명확할까?

왜 한국은 후진적인 달구지용 평면도형을 고집할까? 평면도형으로 미흡하니 길바닥에는 온통 녹색과 분홍색으로 도배를 해 놓게 되던데..

쉬운 걸 놔두고 어렵고 애매하고 헷갈리게 만들어 놓는 '전문가'들. 다른 나라에서는 볼 수 없는 대단한 재주들을 갖고 있다.


"쉬운 도로가 안전한 도로. 한국에도 만들어 봅시다~!"


한국 도로의 민낯(The Road Audit) - YouTube



keyword
작가의 이전글그 많던 안전봉은 누가 다 쳤을까?