잡어미학雜魚味學

프롤로그

by 하리

부자집 아이가 밥을 게걸스럽게 먹으면 “복스럽다”고 한다.

가난한 집 아이가 그렇게 먹으면 “굶고 다니느냐”고 묻는다.

사람은 같은데, 평가는 다르다.

환경이 사람을 분류한다.


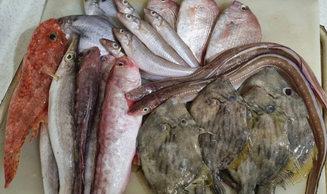
바다도 다르지 않다.

고깃배 위에서, 시장 한복판에서

값비싼 생선은 비늘 하나 다칠까 애지중지 다뤄진다.

그러나 돈이 되지 않는 잡어들은

발에 채이고, 거적처럼 밀려난다.


하지만 정말 그럴까.


나는 바닷가에서 태어나 제주 해녀의 아들로 자랐다.

파도에 떠밀려 온 쓰레기 하나하나도 장난감이었고 친구였다.

멸치배가 들어오면 멸치를 털어내는 그물 뒤로

머리 없는 멸치들이 바람처럼 날렸다.

어부들의 발에 채여 튕겨 다니던 이름 모를 잡어들은 그 시절 나의 간식이었고, 놀이였다.


어머니가 제주 해녀이셨기에

그 바다는 나에게 늘 친숙했고, 동시에 고단했다.

물질을 마친 해녀들의 숨비소리 사이로

이런 말이 섞여 나왔다.


망사리 코에서 돈이 나온다.”


망사리에 든 해산물이

그날의 생계였다.

비가 오나 눈이 오나 바다로 나가야 했던 어머니의 삶.

그 곁에서 망사리를 정리하던 내 작은 손길도 그 생의 일부였다.


그 시절을 돌이켜보면

밀려나고, 이름 없이 흩어지고, 값이 매겨지지 않던 것들 속에 오히려 삶의 본질이 있었다.


볼품없고 값싼 잡어지만

그들의 보조가 없으면 식탁의 맛은 깊어지지 않는다.


나는 그 가치를 기록하려 한다.

고깃배의 갑판에서,

시장의 바닥에서 밀려난 그 많은 잡어들처럼

이름 없이 살아온 것들의 가치를.


그것을 나는

잡어미학이라 부른다.

값이 아니라, 존재의 깊이를 말하는 기록.


이제 그 이야기를 시작한다.


ㅡ 이 연재는 개인적인 경험과 부산 자갈치시장의 기억을 바탕으로 한 기록입니다.