장구밤나무

꽃말은 부부애, 순결, 우아

by 양세훈

뿌리·줄기·잎을 왜왜권(娃娃拳)이라 하여 소화기능 보강, 헛배 부르거나 자궁 출혈과 대하증, 장내에 기생충이 생겼을 때에 치료제로 사용한다.


열매는 새콤달콤하여 먹기도 하며 나무껍질은 섬유 등의 재료로 쓰이며, 해변공원의 정원수로 이용되고 장구밥나무, 잘먹기나무로도 불린다.


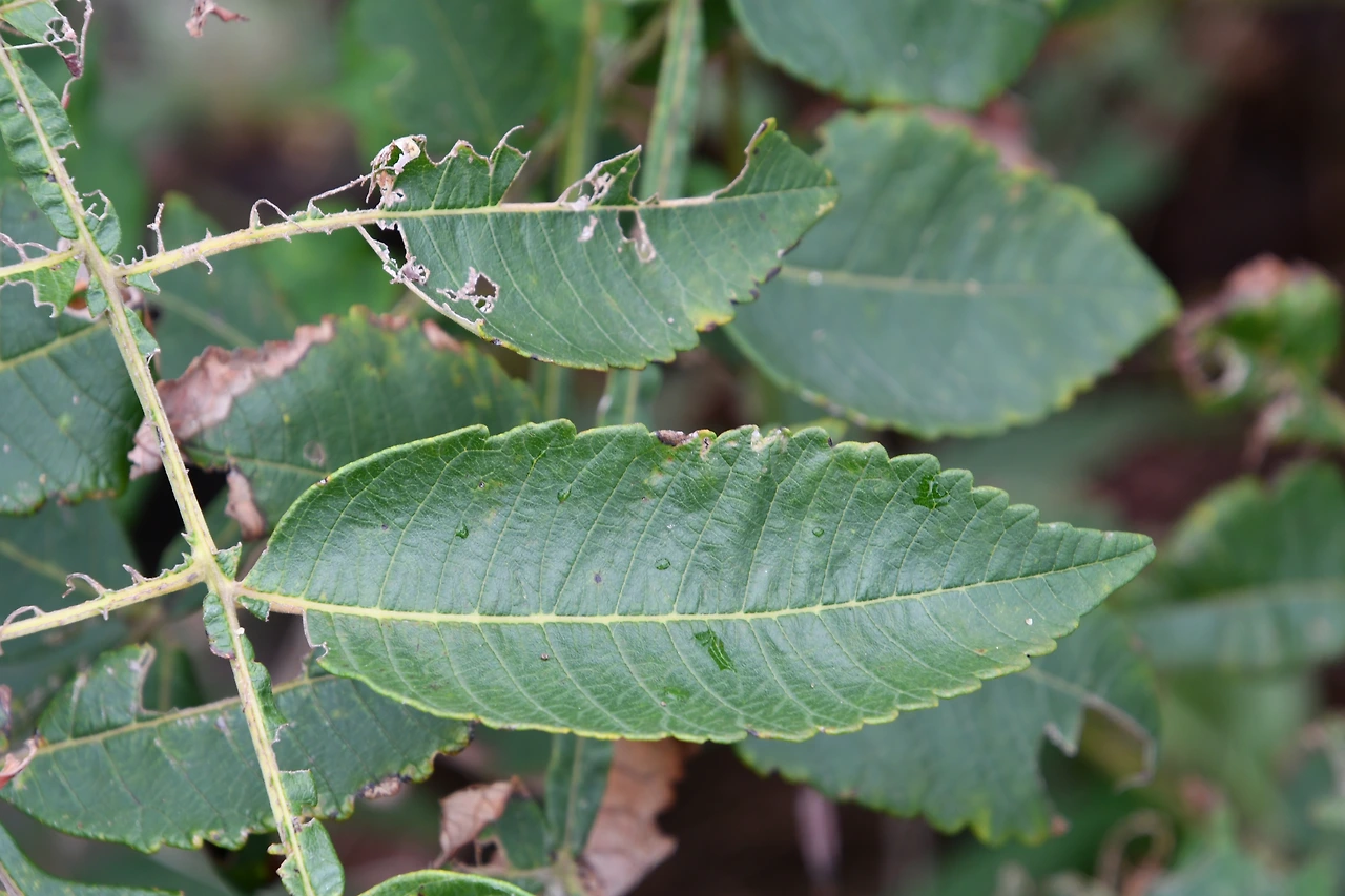
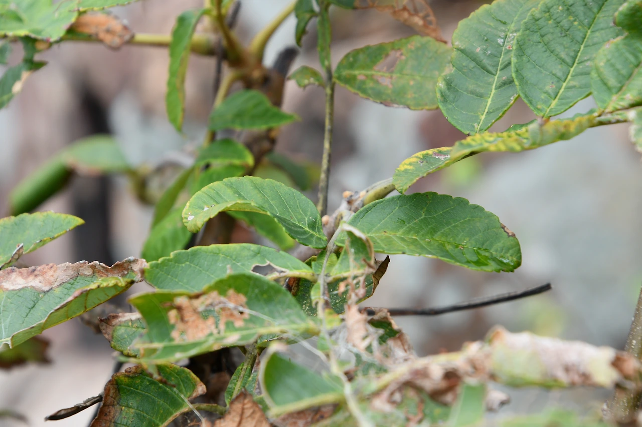
여름에 연한 노란색 꽃이 피고 황색의 열매는 둥글거나 장구통 같고, 나무껍질은 황갈색, 잎의 표면은 거칠고 끝이 뾰족하고 3개의 큰 맥이 뚜렷하다.


DSC_5257.JPG
DSC_5258.JPG
DSC_5259.JPG
DSC_5260.JPG
DSC_5261.JPG
DSC_5262.JPG
DSC_5263.JPG


작가의 이전글말오줌때