brunch

몰디브를 가는구나

어라? 파라다이스인 줄로만 알았는데. 2008년 7월

by 탱강사

스쿠버다이버로서 첫발을 들인 Sophy와 나는 무사히(?) 결혼을 했고, 결혼 전에 이미 계획하고 합의한 대로 Sophy는 결혼 2개월 만에 공부를 더 하려는 목적으로 프랑스 파리로 유학을 떠났다. 많은 사람들이 결혼하고 얼마 되지도 않고 그렇게 떨어져 지내서 되겠냐고 얘기들을 했지만, 경험자로서 얘기하자면 떨어져 지내는 동안에는 애틋함 같은 게 있어서 오히려 늘 같이 지내는 것보다 나은 것 같았다. 시시콜콜이 자세한 얘기는 못하겠지만 암튼 떨어져 지내는 거, 할 만하다. 물론 결혼한 이후라 어차피 다른 데 눈길 줄 필요가 없었기 때문에 그런 것임을 감안해야 한다.


그렇게 Sophy가 멀리 떠난 지 몇 달 만에 한국으로 휴가를 오기로 하였다. 오래간만에, 애틋함이 한껏 부풀어 있던 때에 한국을 들어오는 것이라, 특별한 휴가 계획이 필요했다. 결혼 한 지 얼마 되지도 않았고, 애틋함도 충만해 있던 때라 그런지 휴가지 선택은 과감했다.


IMG_0233.JPG 몰디브 하면 으레 떠오르는 풍경


신혼여행도 도쿄로 조촐하게 다녀왔으니, 좀 제대로 기분을 내 보자는 심산으로 몰디브를 휴가지로 선택했다. 통장 잔고는 이미 마이너스로 돌아선 지 오래지만, 50년 후면 몰디브가 물에 잠긴다는 얘기도 여행지 선택에 한몫했다. (몰디브 관광청 파이팅!) 계획도 그냥 여행사에서 내놓은 신혼여행 패키지로 잡았다. 지난번 엘니도 여행에서 혼쭐이 났던 덕에 이번에는 여행사에서 챙겨주는 대로 잘 듣고 좀 편안히 다녀올 생각이었다. 그리고 원래 패키지보다 보너스 1박을 더 해 주는 데다, 기존 패키지에는 포함되어 있지 않다는 점심 뷔페도 넣어준다니 챙겨 받는 기분은 더 커졌다. 물론 어느 장사하는 사람이든 으레 해 주는 서비스 또는 겉치레일지도 모르지만, 몰디브를 간다는 것만으로도 모든 것을 기쁘게 받아들일 마음의 준비가 되어 있었기 때문에 그런 걸 일일이 생각할 필요는 없었다.


때마침 회사 친구인 JungWon과 Elly 부부가 우리 부부와 비슷한 시기에 스쿠버다이빙을 배우고 이번에 여행을 준비 중이라는 얘기를 들어서, 같이 다녀오기로 하여 혹여라도 한국인에게 익숙지 않은 무료한 시간이 생기더라도 덜 심심하게 될 것 같았다.


프랑스의 휴가는 길었지만, 하루라도 허투루 보내지 않겠다는 의지가 돋보이는 일정이었다. Sophy가 파리에서 서울로 온 바로 다음날 몰디브로 떠나는 여행이 시작되었다.


몰디브로 가는 길은 꽤 길었다. 직항이 없었기 때문에 싱가포르에 가서 긴 시간을 기다렸다가 몰디브로 가는 비행기를 갈아타야 한다. 싱가포르에서 다음 비행기를 갈아타기까지의 시간이 꽤 넉넉하여 남는 시간을 어떻게든 활용해야 했다. 싱가포르의 창이공항은 명성에 걸맞게 공항 내 시설과 볼거리도 최고 수준이어서 공항에서만 놀아도 괜찮을 정도였지만, 이왕 싱가포르에 머무는 거, 시내를 구경할 생각으로 , 후덥지근한 다습한 공기와 시원한 스콜을 만나가며 싱가포르 시내 관광을 간단히 하고 다시 공항으로 돌아와서 안전하게 다음 비행기를 기다렸다.


싱가포르에서 비행기를 갈아타고 몰디브의 수도인 말레에 도착했지만, 시간문제로 바로 리조트로 가지는 못하고, 말레의 호텔에서 1박을 한 후 다음날 리조트행 경비행기를 타야 한다.


말레에서의 하룻밤은 여관 같은 조촐한 호텔에서 하룻밤 머무는 것으로, 그냥 숙박 이상의 의미를 찾기는 힘들었다.


다음날 만난 말레의 아침은 열대 바다의 낙원이 가까워 온 듯, 하늘은 파랗고 내리쬐는 햇빛은 날카로웠다. 하지만, 말레에 머물러 있는 것만으로는 우리가 상상하던 몰디브에 온 것인지 실감이 나지 않았다.


리조트행 경비행기를 타기까지 약간의 시간이 남았지만, 스포츠바에 앉아서 최대한 햇빛이 들지 않는 구석에서 진저에일을 마시며 TV에 나오는 F1 레이싱이나 크리켓 경기를 보는 것이 시간을 보내는 방법의 전부였다. 햇빛이 너무 뜨거워서이긴 했지만, 지금이라면 그래도 동네를 좀 돌아다녀보려고 하지 않았을까 싶다.


얼추 시간이 되어, 리조트행 경비행기를 타는 수상 비행장으로 향했다. 몰디브는 멀리 떨어진 섬들에 리조트가 하나씩 있기 때문에 말레의 수상 비행장에 각각의 리조트의 비행기들이 여행객들을 태우고 리조트로 떠난다.


그냥 섬나라니까 그런가 보다고 생각했지만, 지도를 찾아보니 육지가 얼마 없어서 그렇지, 몰디브의 남쪽 끝에서 북쪽 끝까지는 500km도 넘어 보이는 꽤나 큰 나라였다. 수상 비행장에는 몰디브의 섬들을 하나씩 차지하고 있는 세계의 유명 리조트들의 비행기와 배들이 드나들고 있었고, 우리가 있던 대기실은 몇몇 리조트들이 공유하는 대기실이었지만, 모든 리조트가 5성급이라는 몰디브에서도 더 고급인 리조트들은 대기실을 따로 운영하고 있었다. 우리는 몰디브에 왔다는 것만으로도 충분히 만족스럽고 기대되기 때문에 굳이 더 고급인 리조트가 부러워 보이거나 하지는 않았다.


IMG_0030.JPG 몰디브의 수도 말레 앞바다에 떠 있는 리조트 배들


우리가 머물 카누후라 리조트는 말레에서 북쪽으로 좀 떨어져 있는 곳인데, 경비행기를 타고도 대략 1시간 정도를 날아가야 하는 곳이었다. 비행기를 탈 때에는 바람이 꽤 불고 있었고, 햇빛이 반짝이고는 있었지만, 어느새 하늘이 어두워지다가 빗방울이 떨어지다가 그랬다. 비행기를 타고 가는 동안에는 아래로 보이는 파아란 바다와 작은 산호섬들이 사진이나 TV에서만 보던 풍경을 연출하고 있었다.


얼마쯤 날았을까, 비행기는 수면의 파도 거품이 보일 정도로 고도가 낮아지고 있었고, 눈 앞에는 옥빛 바다와 아이보리색 모래밭으로 둘러 싸여 있는 작은 섬에 방갈로가 들어차 있는 리조트가 나타났다.


IMG_0240.JPG 이제야 실감나는 몰디브의 풍경


아! 이것이 몰디브의 바다색이구나. 수상비행기는 바닷물을 활주로 삼아 수면을 거칠게 차면서 착륙, 아니 착수를 하였다. 물빛 때문에 마치 스포츠 음료 위로 착수하는 기분이었다.


비행기에서 내리자 인도양에서 거침없이 불어 제치는 바람이 우리를 환영해 준다. 비행기를 탔던 말레에서와 비슷하게 하늘은 흐린 가운데 햇빛을 간간히 보여주고 있었고, 수면을 가득 메우며 찰랑거리는 하얀 파도는 바람을 눈으로 확인할 수 있게 하였다.


IMG_0202.JPG 날씨가 이러니 기분이 반감되는 느낌


몰디브에 오다니. 리조트에 도착해서 파란 바다와 하얀 모래를 밟으니 이제야 실감이 난다. 신혼여행 때 안 가면 언제 또 가겠냐는 심산으로 신혼여행지를 몰디브로 많이 선택한다는데, 우리는 용케도 신혼여행도 아니면서 몰디브로 왔다.


그런데 날씨가 심상치 않다. 햇빛이 별로 없음에도 불구하고 옥빛의 바다는 눈부심을 잃지 않았지만, 짙은 구름과 바람은 우리의 설렘을 불안으로 덮으려 하고 있었다.


IMG_1669.JPG 바다 빛깔은 여전히 예뻤지만. 날씨가 이래서야 기분이 안 난다


숙소를 안내받아 짐도 정리하고 방도 구경하고 리조트를 배경으로 사진도 찍고 섬 주변도 걸어보고 몰디브에 온 기분을 한껏 내어 보았다.


하지만 리조트가 전부인 섬에서 할 수 있는 일은 많지 않았다. 사방이 탁 트여 있어서 오히려 볼 것도 없고, 그 심심하게 할 일 없던 엘니도보다도 더 심심할 것 같다.


심심하지 않을 수 있는 묘약인 다이브센터를 찾아갔다. 몰디브답게 스쿠버다이빙에 드는 비용도 다른 곳에 비해서는 확실히 비쌌다. 적지 않은 돈을 들여왔음에도 불구하고 뭔가 다른 것을 하기 위해서는 돈을 더 쓰지 않으면 안 되었다. 물론 몰디브까지 와서 돈을 아끼느라 바다 물결만 보고 가지는 않겠지만.


다이브센터를 맡고 있는 다이브 마스터의 얘기로는 우리가 몰디브 말레에 발을 디디면서부터 줄곧 우려해 왔던 날씨 때문에 다이빙이 어려울 수도 있을 거라고 했다. 지금 구름도 많고 바람도 세게 불고 있는데, 오늘은 어려울 것 같고, 내일이 어떨지는 내일 되어봐야 알 수 있을 거라고 한다. 이건 뭐 곳에 따라 오후 한 때 비가 오는 곳이 있을 수도 있겠다는 모호한 일기 예보랑 별반 다를 게 없는 말처럼 들렸지만, 점점 거세지는 바람과 짙어지는 구름 그늘을 보자면 어쩌면 그 말이 오히려 그나마 희망적인 말이었을지도 모르겠다.


몰디브의 아름다우리라 기대했던 리조트의 첫밤은 의외로 으스스했다. 바람이 멋질 않았고, 어렴풋이 보이는 하얀 잔 물결은 낮보다 거칠어 보였다. 창에 비친 야자나무의 그림자는 마치 신장개업 풍선인형처럼 어지럽게 흔들리고 있어서 으스스한 느낌을 배가시켰다.


내일 아침 눈을 뜨면 찬란한 인도양의 햇빛이 창을 비추고 있기를... 간절히 기원했지만, 대자연은 그렇게 호락호락 우리에게 온화하지는 않은 모양이었다.


다음날 아침에 눈을 떴지만 이것이 아침인지 저녁인지 알 수 없는 하늘빛에, 바람은 엊저녁보다 더 거세진 것 같았다. 아침 식사를 위해 방을 나서니, 세계 최고의 휴양지라는 명성이 무색할 정도로 험한 날씨였다.


식당은 내부가 넓고 야자수나 바나나 잎으로 엮은 거대한 지붕으로 덮여 있었지만 바람에 날려가지 않을까 걱정스러울 정도로 바람 소리가 심하게 나고 있었고, 날씨 탓인지 시간이 일러서 그런지 식사를 하러 온 사람이 우리 밖에 없었다.


최고의 리조트라 해도 아침 식사가 특별할 것도 없겠지만, 그래도 기분 때문에라도 맛있어야 할 텐데, 날씨가 이모양이니 맛도 기분도 느낄 여유가 없이 이 날씨가 언제까지 계속될지, 스쿠버다이빙은 할 수 있을지, 제대로 돈 값이나 하고 갈 수 있을지 온갖 걱정이 머리를 채우고 있었다.


이러다 보니, 여행을 예약할 때 여행사에서 보너스 1박이랑 점심 뷔페가 무료 추가된다는 것이 우리가 이뻐서 그런 건 아니었겠구나 하는 생각이 들었다. (아니나 다를까, 몰디브는 5월에서 11월까지는 비바람이 많이 부는 우기로, "비수기" 시즌에 해당된다고 한다.)


궂은 날씨에 갇혀 있는 몰디브는 심하게 지루했다. 해변을 걸어 다니면서 사진 찍고 소라게 발자국을 따라다니며 노는 것도 잠깐이고, 바람 때문에 바다든 수영장이든 물에 들어가 노는 것도 마땅치 않았다. 그나마 Sophy가 바리바리 싸 들고 온 보드게임이 있어서 함께 온 JungWon, Elly 부부와 같이 하는 것이 할 수 있는 몇 안 되는 놀거리였다.


그렇게 그냥 하루를 몰디브의 폭풍을 보면서 보내버렸다. 얼마짜리 하루인지 계산해 보기도 싫었다. 내일은 제발 날씨가 괜찮아지길 간절히 비는 수밖에 없다.


IMG_0379.JPG 소라게가 귀여웠지만 이것도 한 때. 우리는 여전히 여유로움을 즐길 준비가 안 되어 있었다


다음날 아침은 환하게 빛나고 있었다. 날씨가 괜찮아진 것이다. 드디어 제대로 놀 수 있으려나! 날씨가 좋아져서 그런지 똑같은 식당에서 똑같은 아침을 먹는데도 훨씬 맛도 기분도 좋다. 어제와는 달리 어디서 왔는지 휴양객들도 많이 보인다. 이제야 정말로 꿈의 휴양지 몰디브에 왔구나 하는 기분이 든다.


IMG_1655.JPG 그래! 이정도면 휴양지 기분이 날 것도 같애!


기쁘고 새로운 마음으로 다시 다이브센터를 찾았다. 다행히도 오늘부터는 다이빙을 나갈 수 있을 거라고 한다.


유럽에서 온 다른 휴양객들은 여전히 책이나 보면서 느긋하게 리얼 휴가를 즐기는지 다이빙을 하려는 사람은 우리 일행 4명뿐이었다.


배는 우리 4명에 강사 1명 정도만 타면 딱 적당할 정도의 아담하지만 깨끗한 배였다. 고급 휴양지라 그런 건지, 렌털 장비도 깨끗해서 몰디브에서의 첫 다이빙의 설렘을 한껏 고조시켰다.


이윽고 입수의 시간, 우리 4명은 비록 스쿠버다이빙 경험이 있지만 아직 초보 수준을 벗어나지 못한 다이버들이라, 설렘과 긴장을 온몸으로 함께 느끼며 어색한 장비들이 몸에 잘 맞는지 아닌지도 신경 쓸 겨를이 없었다.


기대감이 한껏 충만한 체로 처음 들어간 몰디브의 바닷속, 비록 호흡기를 입에 물고 있는 데다 수중이라 말로 할 수는 없었지만, 미처 생각할 틈도 없이, 절로 마음속에서 튀어나온 말은...


아! 내 돈...

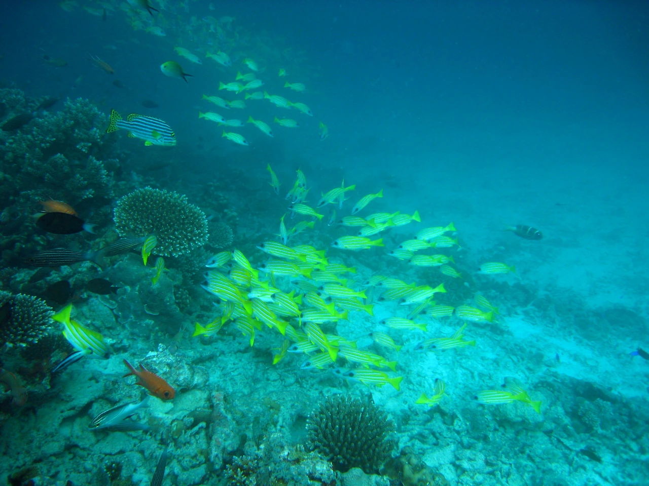
내가 고대하던 바다는 이런 바다가 아니었는데. 겨우 배가 뜨고 다이빙을 할 수 있는 날씨가 되었지만, 이틀 동안 몰아친 비바람에 바닷속은 한바탕 뒤집어져 있었던 것이다. 그래서 물은 온통 뿌옇게 흐려져 있었고, 물고기도, 아름다운 산호도 없지는 않았지만, 이 풍경을 두고 몰디브의 바다라고 해 봤자 믿을 사람은 아무도 없을 정도의 별 볼 일 없는 바다 속이었다.


IMG_0307.JPG 누가 이 사진을 몰디브의 바닷속이라 생각하리오 ㅠㅠ


IMG_0099.JPG
IMG_0171.JPG
IMG_0123.JPG 그래도 마냥 뿌옇지만은 않았다


IMG_0160.JPG 외계 생명체라도 되는 듯 어마어마한 길이의 더듬이를 자랑하던 랍스터




스쿠버다이빙 여행 시기 정하기


열대 바다라고 언제나 좋을 수는 없습니다. 우리나라처럼 극단적으로 날씨가 변하지는 않겠지만, 열대 바다도 계절을 타기 때문에 스쿠버다이빙 여행을 위해서 좋은 시기를 알고 가는 것이 좋습니다.


스쿠버다이빙을 위한 시기라고 하면 일반인들이 잘 생각지 못하는 요소들을 포함하고 있습니다.


날씨는 가장 기본적인 고려 사항입니다. 덥고 춥고의 차이가 크지는 않겠지만, 특히 유의해야 하는 날씨의 변화는 태풍과 우기입니다. 태풍이 많은 날씨에는 제아무리 눈부신 햇살을 자랑하던 열대 바다도 폭풍이 몰아치며 온종일 비바람을 퍼붓는데, 심한 경우 국내에서 경험하는 태풍보다 더 무서운 대자연의 힘을 만날 수도 있습니다. 이 때는 다이빙을 못하고 놀러를 못 다니는 아까움을 넘어서서 귀국 비행기가 뜰지, 전기나 수도가 끊기지는 않을지 걱정하는 지경까지 이를 수가 있습니다.


비근한 예로, 2013년 필리핀 중심부를 강타한 초대형 태풍 하이옌은 몇몇 도시를 초토화시켰습니다. 이때 저는 팔라우를 여행하는 배편을 예약해 두었었는데, 이 배가 필리핀에 묶여 움직이지 못하는 바람에 여행을 취소할 수밖에 없었습니다. 이때까지만 해도 그냥 태풍 때문에 여행이 취소되었네 하며 아쉬울 뿐이었습니다.


그런데, 나중에 뉴스를 보고는 두 눈이 휘둥그레 졌습니다. 태풍에 피해를 입은 사진 중에 불과 1년 전에 다녀왔던 다이브 리조트가 태풍에 흔적만 남기고 사라진 사진이 있었습니다. 비록 시점은 달랐지만 어쨌든 내가 머물렀던 곳이 태풍에 날아가 버린 광경을 보고 있자니, 대자연의 힘이란 게 사람의 힘으로는 거스를 수 없는 거대한 것이라는 것을 새삼 느끼면서도 한편으론 내가 그 시간 그 자리에 있지 않았음을 다행으로 생각해야 했습니다.


Typhoon_Haiyen.JPG 태풍 Haiyan (또는 Yolanda)에 의해 처참히 부서진 필리핀 말라파스쿠아 섬의 리조트. 불과 1년 전에 머물렀던 리조트이다


이렇게 극단적인 경우는 아닐지라도, 태풍이 자주 발생하는 시기에는 아무래도 태풍이 발생하고 지나가는 필리핀의 여행은 주의해야 합니다.


태풍이 아니라도, 열대 지역은 우기라는 시즌이 있습니다. 우리나라도 예전에는 장마가 있었지만 이제는 점점 아열대 기후화 되면서 장마가 아닌 우기라는 이름으로 불러야 하는 건 아닌가 하는 얘기도 있는데요. 우기에는 햇빛보다는 구름이 낀 날이 많고 비와 바람이 많습니다. 당연히 추워지고, 또 바다도 거칩니다. 물에 들어가도 어둡고 파도의 영향으로 수중 환경이 안 좋을 수 있습니다.


날씨 외에 다른 요소는 수중 생태계입니다. 어떤 시기에 어떤 수중 생물들이 많이 출몰하는지의 차이가 있습니다. 그리고, 산란기도 있어서 이 때는 평소에 보지 못하는 특별한 장면을 만날 수도 있지만, 한껏 예민해진 수중 생물들 때문에 주의를 기울여야 합니다.


그런데, 언제가 스쿠버다이빙을 위한 좋은 시기인지를 알아야 한다면, 과연 일반적인 다이버들이 잘 알 수 있는 내용일까요? 대부분의 다이버들에게 쉽지 않은 문제일 겁니다.


간단히 생각하기로는 여름을 피하고 겨울을 택하는 정도입니다. 여름은 일단 "성수기"와 겹쳐서 비용이 올라가고 숙소를 잡는 것도 쉽지 않습니다. 수중 환경도 뜨거운 날씨에 비해 기대보다 좋지는 않습니다. 겨울, 즉 11월부터 2월 정도까지가 많은 다이브 사이트에서 좋은 시즌으로 여겨지는 시기입니다. 물론 모든 지역이 다 그런 것은 아니겠지만요.


다이빙시즌차트.png 스쿠버다이빙 전문 잡지에서는 여러 가지 정보를 얻을 수 있습니다. (출처: http://www.scubamedia.co.kr)


인터넷에서 현지의 다이빙 상품을 검색하다 보면, 프로모션을 하면서 할인을 해 주거나 추가 상품을 제공하는 경우를 볼 수 있습니다. 혹하는 게 당연하겠지만, 모든 일에는 이유가 있는 것으로, 소위 "비시즌"이라 불리는 시기에 대한 보상인 경우가 있습니다. 아무나 갈 수 없는 곳에 저렴한 가격으로 갈 수 있다는 기쁨도 있지만, 혹여 명성에 비해 실망을 느낀다면 시기의 문제일 수도 있다는 것을 염두에 둬야 합니다. (저의 몰디브에 대한 기억처럼)


하지만 아무리 찾아보더라도 보통 사람들이 어떤 지역이 언제가 좋은 시즌인지 알기는 쉬운 일이 아닙니다. 그래서 추천하는 방법은 전문가의 힘을 빌리는 것입니다. 스쿠버다이빙 여행을 전문으로 하는 여행사에서는 어느 지역이 언제가 좋은지, 무엇을 볼 수 있는지 잘 알고 있습니다. 손품 발품 다 팔아서 직접 알아보는 것에 비해서는 비용이 조금 올라갈 수 있겠지만, 어차피 어렵게 잡은 휴가 일정 돈 들여서 가는 여행 기왕이면 더 근사하게 다녀오고 싶다면 전문가의 도움을 받는 것이 더 현명한 선택일 수 있습니다.

keyword