brunch

보홀의 밤

스쿠버다이빙-21 | 복어야 미안해 | 2010년 7월

by 탱강사

스쿠버다이빙을 처음 배우면서부터 나이트 다이빙을 한 이래로 이번이 한 서너 번째인 나이트 다이빙이다. 여전히 나이트 다이빙은 묘한 두근거림을 안겨주는데, 솔직히 말하자면 그것은 마냥 좋기만 한 기분은 아니다. 마치 롤러코스터를 타기 위해 줄을 서 있을 때처럼 짜릿한 경험을 기대하면서도 한편으로는 초조한 느낌의 긴장되는 기다림이 이어지는 시간이다. 나이트 다이빙을 하기 위해서는 저녁 식사 시간을 조절해야 한다. 보통은 낮의 다이빙을 마친 후 서둘러 준비해서 나이트 다이빙을 하고 빨리 올라와서 저녁을 먹는 식으로 스케줄을 짠다.

아직 먼 바다의 하늘 끝에는 붉은 기운이 남아 있지만 밤의 바다는 이미 바깥에서부터 고요하다. 마치 한낮에 내리쬐던 햇빛에서 소리라도 났던 것처럼, 빛이 사라진 어스름 저녁은 빛도 소리도 잦아드는 느낌이다. 우리는 브리핑에서 하나씩 받은 라이트를 만지작거리며, 행여 헛디디지는 않을까 발 아래를 비춰가며 보트에 올라탔다. 배가 우르릉! 하고 긴 여정이라도 떠날 것처럼 어둠을 가르며 움직이는 것도 잠시, 금방 엔진을 멈추고 다시 고요한 밤으로 돌아왔다.

바다는 마치 작은 연못처럼 잔잔하고, 주위에는 아무것도 움직이는 것이 보이지 않고 다만 뱃전 끝에서 찰박거리는 물소리만 났다. 다리우스가 먼저 물에 뛰어들었고, 라이트로 물 아래를 비춰 우리가 입수할 장소가 환하게 비치도록 해 줬다. 우리도 이내 장비를 입은 다음 물에 뛰어들었고, 모두들 OK 사인을 주고받은 다음에 뽀록뽀록 소리를 내며 얼굴을 고요의 바닷속으로 밀어 내렸다. 발 아래는 라이트 불빛에 비쳐 밝고 어두운 명암이 선명한 작은 산호 둔덕들이 보이기 시작했다. 산호 둔덕의 아래로는 모래와 작은 돌들이 이어져 내려왔다. 사실 우리는 눈 앞에 뭐가 있는지를 알지 못했다. 여전히 밤의 바닷속은 익숙지 않아서 다리우스의 라이트와 손 끝에 무엇이 있을지만 신경 쓰며 봤다.

다리우스가 라이트로 비춘 밝은 자리에서 조그만 돌덩이가 꿈틀거리며 움직였다. 그렇다. 이것은 게들이 짊어지고 다니는 위장품(?)들이 움직이는 것이다.


4.Crab2.JPG 움찔거리는 돌덩이들의 정체는 항상 게다.


4.ReefCrab.jpg 등딱지에 돼지코 무늬가 있는 게. 어쩐지 오늘 저녁상에서 만날지도 모르겠다. (츄릅~)


이걸 보고 나자 점점 주변의 것들이 눈에 들어오기 시작한다. 간간히 자다 깬 듯한 니모들도 보이고, Lionfish가 우리 아래에서 유유히 움직이고 있기 때문에 혹시라도 건드리지 않도록 조심해야 했다.


4.Lionfish.JPG 라이온피쉬가 곳곳에 떠 다니기 때문에 항상 조심해야 한다.


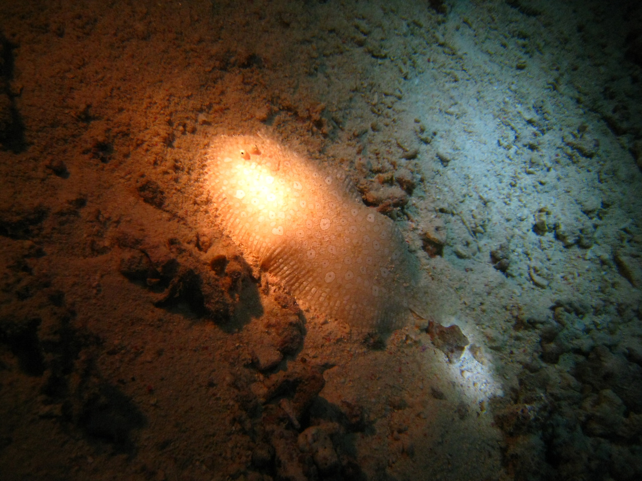
천천히 전진하던 다리우스의 움직임이 달라졌다. 라이트를 바닥 어딘가에 고정하고 몸을 우리 쪽으로 돌렸다. 무언가 특별한 것이 있는 것이리라. 우리는 가까이 다가갔고, 나는 새 카메라를 들이댔다. 소리를 낼 수도 없었지만 다리우스가 여기를 잘 살펴보라는 얘기가 들리는 것 같았다. 우리끼리였다면 아무것도 모르고 그냥 지나쳤을 것이 틀림없다. 가만히 보고 있으니 모래 바닥과는 다른 옅은 무늬가 나타나기 시작했고, 움찔움찍 움직이는 한쌍의 눈이 마치 "이거 버텨야 돼, 도망가야 돼..."라고 갈등하는 듯한 넙치를 찾을 수 있었다. 결국 호기심에 가득 찬 우리의 탐구열을 견디다 못한 넙치는 스리슬쩍 자리를 뜨기 시작했다. 그제야 모래 바닥과 분리된 넙치가 어떻게 생겼는지 알아볼 수 있었다. 신기함에 꾸물거리는 넙치를 계속 쫓아가니 넙치는 조금씩 속도를 내며 도망을 간다. 파파라치에 쫓기는 셀럽의 기분이 이런 걸까?


4.PeacockSole.jpg 모습을 드러낸 넙치. 가만히 있으면 우리 눈에는 잘 보이지도 않는다.


또 뭔가 신기한 것이 없나 돌아보던 차에, 다리우스가 또 어딘가 멈춰 서서 뭔가를 하고 있다. 같이 들어간 다이버들이 옹기종기 모여 라이트를 비추고 있는 걸 보니 신기한 뭔가를 보여주고 있는 게 틀림없으렷다. 다가가 보니, 아니, 이게 뭐야? 배구공처럼 하얗고 둥그런 저것은? 복어? 다리우스가 복어를 잡아 문질문질 대고 있으니 복어가 뿔이 나서 빵빵하게 몸을 부풀리고 있는 게 아닌가. 안 그래도 귀여운 복어가 거대하게 부풀린 몸에 작은 지느러미를 팔랑대며 조그만 주둥이를 뽀끔뽀끔대고 있는 걸 보니 귀엽다 못해 우스꽝스럽기까지 하다. 게다가 라이트로 배를 비추니 마치 초롱불처럼 복어가 빛을 품고 있는 모습이 한편으론 근사하다. 그러기를 잠깐, 복어를 놓아주니 이제야 살았다는 듯 그 작은 지느러미를 다시 팔랑거리며 우리를 떠나 멀리 내뺀다. 떠나는 모습을 보니 몸도 줄어들어 갔다.

다이빙을 마치고 보트로 올라오니 하늘과 바다는 아까보다 더욱 검어져 있었고, 마치 우리가 비추던 라이트처럼 하늘에도 보름달이 바다를 비춰 일렁이는 물결을 보여주고 있었다. 찰박찰박하는 물소리만 그대로. 처음 보는 게 많으니 마냥 신기했다가, 둥그런 달을 보고 있자니 아까 우리가 괴롭혔던 복어가 어쩐지 가여운 생각이 들었다. 미안해 복어야. 내가 그런 건 아니지만.




수중생물들이 받을 스트레스를 생각해 본다.


우리는 그저 아름다운 수중을 보고 싶은 마음에 바다를 찾지만, 사람이 발을 딛는 순간부터 사람으로 인한 환경오염은 시작된다고 합니다. 꼭 내가 뭔가를 하지 않아도, 내가 여기에 오기까지 딸려오는 수많은 작은 것들이 환경과 바다를 오염시키는 데 한몫하게 됩니다. 아마도 다이브 가이드가 데리고 간 다이버들, 즉 자신의 고객들을 대상으로 뭔가 재미난 것을 보여주기 위해서, 복어를 괴롭힌 것도 따지고 보면 결국 내가 다이빙을 하고 있어서 생긴 일이 아닌가라는 생각도 듭니다. 그렇다고 다이빙을 안 할 수도 없고, 내가 안 하면 뭐, 다른 사람이 다이빙할 때는 안 그런다나? 그저 다이빙하면서 그런 일을 줄이고, 환경 보호에 관심을 더 기울이는 것으로 긍정적인 효과를 키워야겠습니다.

스쿠버다이빙을 하다 보면 현지의 가이드들이 수중생물을 건드리며 다이버들에게 신기한 광경을 보여주는 일이 많습니다. 복어를 부풀리는 것도 마찬가지이고, 니모를 잡아 마스크에 담아 보여준다든가, 문어나 오징어를 괴롭히다 끝내 먹물을 뿜게 만든다든지, 돌 틈으로 숨어드는 수중생물을 굳이 끄집어내어 사진 찍으라고 보여주든 등입니다. 물론 TV에서만 보던 모습을 눈 앞에서 직접 보니 다이버들은 마냥 신기할 따름입니다.


SANY0058.JPG 신기하고 재미난 걸 보여주려는 마음은 고맙지만 앞으로는 그러지 않아도 돼요.


처음에야 저도 아는 것도 없이 신기하기만 했었는데, 경험이 많아지고 환경에 대해 생각할수록 저뿐만 아니라 많은 다이버들이 이런 일들에 대해 고민을 하게 됩니다. 그래서 다이빙을 하다가 가이드가 이런 것을 시도할 때, 하지 않도록 신호를 줍니다. 가이드는 으레 해 오던 일이고, 또 고객만족(?)이라는 사명 아래 본인의 의무라고 생각하고 있을지도 모르겠지만, 그런 모습을 보일 때 서로 얘기를 해서 우리는 그러지 않아도 충분히 즐겁다는 의사를 전달하여 수중 환경에 불필요한 스트레스를 주지 않으려고 노력합니다.

이러한 양상을 모르는 초보 시절에는 신기함에 들떠 가이드가 시키는 대로 따라하게 마련인데요. 그런 상황이 지나치게 흘러가면 큰 낭패를 볼 수 있습니다. 어떤 가이드는 대왕조개나 심지어 상어 새끼를 손님의 손에 들려주고 사진을 찍기도 합니다. 팔라우의 블루코너에 항상 기거하는 나폴레옹피쉬를 끌어안도록 하고 사진을 찍어주기도 했습니다. 상어 새끼를 손에 들고 해맑게 웃는 얼굴로 사진을 찍은 사람의 페이스북은 세계 각국 사람들의 비난글로 뒤덮여 폐쇄되었고, 나폴레옹피쉬를 끌어안은 사진을 찍어준 다이브 숍은 수많은 신고를 받고 문을 닫았습니다.

생각이 더 나아가서는 우리가 물속에 들어가 이들의 평온함을 방해하는 것은 아닌지, 언제 잡아먹힐지 모르는 야생의 세계에 뭔지 모르는 거대한 공포의 존재가 되지는 않는지까지 생각이 닿습니다. 그래서 사진을 찍을 때 비추는 강한 라이트의 불빛 역시도 이들에게는 마치 UFO가 내려와 납치하려는 모습으로 비치지는 않을지 고민도 해 봅니다. 그러거나 말거나 다이버도 무임승차 대상으로 보는 빨판상어 같이 속 편한 녀석들도 있지만요.

3.SharkSucker.jpg "아하하. 매끈매끈하고 차가운 게 좀 이상하지만 일단 붙고 보자." 공기탱크에 빨판상어가 붙었다.


keyword