brunch

오늘은 이쪽? 내일은 저쪽?

by 골방파일럿

공항 주변에 살면서 하늘을 자주 쳐다보는 사람들이라면 으레 하늘을 힘차게 날아오르는 비행기를 자주 볼 것이다. 필자가 거주하고 있는 김포공항 근처에도 하루에 수십수백 대의 항공기가 김포공항에서의 이착륙을 실시하고 있다. 물론 코로나 19 사태로 인해 항공편 수가 많이 줄어들어 안타까운 마음이지만 그래도 언제나 힘차게 날아오르는 비행기는 우리 가슴 한켠에 숨어있는 설렘과 벅참을 선사하는 존재가 아닐까. 그렇다면 여기서 한 가지 의문을 가질 수 있다. 왜 공항은 한 곳에 고정이 되어있는데 항공기는 어제와 오늘 내리는 방향이 다를까? 어제는 분명 우리 집 위쪽으로 접근을 하고 있었는데 오늘은 우리 집 상공에서 상승을 한다? 이러한 의구심을 가져보신 분들이 있을 것 같다. 그래서 오늘은 이 질문에 대한 답을 해보려 한다.

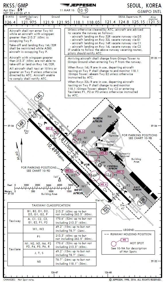
<김포국제공항의 공항 다이어그램. 활주로의 방향을 파악 할 수 있다.>

위의 사진은 김포 국제공항의 다이어그램이다. 쉽게 말하면 김포공항에서의 지도라고 생각하시면 편할 것 같다. 보다시피 활주로가 14, 32라고 나있는 것을 볼 수 있는데 이는 활주로의 자방위를 의미하며 10 단위에서의 반올림을 하기에 32번이라고 쓰인 활주로에서 이륙을 하면 항공기는 약 320도의 방향으로 비행을 한다는 점이다. 그렇다면 320에서 반대는 140이기에 반대편 활주로는 14번 활주로가 되는 것이다. 즉 14번 활주로로 이착륙을 하는 항공기는 140도의 방위로 비행을 한다는 점을 알 수 있다. 그렇다면 공항의 활주로는 왜 이렇게 두 가지 숫자가 새겨져 있을까? 그 이유는 사실 굉장히 간단하다. 항공기는 이착륙 시 항상 정풍 (Headwind)를 받고 이착륙을 해야 하기 때문이다. 이는 항공기의 이착륙 원리에 관련이 있다. 간단히 설명을 하자면 이륙 시에는 항공기에 맞바람이 불어야 날개에서 양력을 생성하기 훨씬 쉽기 때문이고, 착륙 시에는 맞바람을 받으면서 내려야 날개에 생기는 공기저항으로 인해 감속과 저속에서의 양력을 조금이라도 더 생성시켜 안전한 착륙을 할 수 있기 때문이다. 따라서 공항의 활주로를 설계할 때, 바람이 불어오는 곳의 통계를 내어 가장 많은 바람이 불어오는 방위로 활주로를 건설해야 항공기의 이착륙이 더욱 안전하게 되기 때문이다.


그렇다면 공항 주변에 사는 사람들은 또 하나의 의문을 가질 것이다. 14번 활주로로 이착륙을 하는 날 (김포의 한강신도시를 지나서 착륙을 하고 서울의 화곡동 방향으로 이륙을 하는 경우), 32번 활주로로 이착륙을 하는 날(구로 방향에서 접근하여 착륙하고 한강신도시 위로 날아가는 날) 왜 서로 시끄러운 게 다를까? 물론 필자도 김포공항 근처에 거주하고 있기 때문에 특정 활주로로 접근 및 착륙을 하면 아침에 조금 더 일찍 잠에서 깨고 반대편 활주로를 사용하는 날에는 조금 늦게 잠에서 깨곤 한다. 그렇다면 이러한 차이는 왜 발생하는 것일까?


이는 이착륙 시 절차가 다르기 때문에 발생하는 현상이다. 특히 이륙을 하는 경우에 조종사는 항공기의 엔진을 최대 출력으로 올린다. 제트 엔진을 최대 출력으로 올린다면 당연히 굉음은 엄청 날 것 같은데 막상 들어보면 의외로 엔진 소음이 엄청 크진 않다. 이는 이륙 시 행하는 절차 때문인데 이를 NADP (Noise Abatement Departure Procedure) 소음 회피 출발 절차라고 이해하면 편하다. 이는 물론 공항마다 혹은 소음 민감 지역이 공항에서 얼마나 떨어져 있느냐에 따라서 세세한 절차가 다르지만 이의 골자는 민가가 모여있는 소음 민감 지역을 최대한 회피하여 소음 피해를 주지 않기 위함이다. 물론 공항 바로 옆에 사시는 분들은 이륙 착륙 두 상황 모두 시끄럽겠지만 공항에서 10킬로 정도만 떨어진 곳에 거주하여도 이 차이는 확연하다. 필자가 살고 있는 지역에선 이륙 시에 확실한 소음 피해가 적은 걸로 짐작하건대 높은 출력을 이용해 최대한 높은 고도로 올라가는 절차를 사용하고 있다고 사료된다.


그렇다면 왜 오히려 착륙 시에는 엔진의 추력이 줄어드는데 더 시끄러울까? 이는 사실 엔진의 특성과 거리 및 고도에서 오는 특성이라고 볼 수 있다. 필자가 훈련기를 타던 시절 싱글 엔진의 reciprocating 엔진 항공기는 확연히 그 차이가 달랐다. 필자가 거주하던 곳은 비행장에서 약 2킬로미터 정도 떨어진 곳이었는데 집 쪽으로 항공기들이 이륙하면 첫 비행과 동시에 잠이 깨곤 했는데 반대로 착륙하는 방향이라면 그래도 몇 시간은 더 잘 수 있을 정도로 소음 차이가 확연했다. 하지만 제트엔진의 특성상 프로펠러 엔진보다 추력이 훨씬 강하고 그만큼 많은 에너지를 소모하여 소리가 많이 나기 때문에 착륙을 위한 접근 단계에서 아무리 추력을 줄인다 하더라도 고도가 낮기 때문에 그 소리는 훨씬 크게 들릴 수밖에 없다. 실제로 필자가 실험을 해본 결과 활주로에서 10킬로미터 떨어진 지점과 5킬로미터 떨어진 지점은 확연하게 소음의 차이가 났다.

<김포공항의 14L 활주로의 접근 차트이다. AIZAK과 BABON의 고도차이가 1400피트가 나게 되는데 약 400미터의 높이 차이지만 체감되는 소음의 크기는 크다.>

즉 착륙절차에서는 결국 일정한 각도와 하강률을 유지하면서 항공기가 하강을 하기 때문에 엔진의 추력 자체는 크게 차이가 나지 않는다. 쉽게 생각하면 대로변에서 튜닝을 한 자동차가 굉음을 내면서 달리고 있는데 대로변에 사는 사람과 대로에서 조금 떨어져 사는 사람에게는 소음의 차이가 다른 것과 같다고 생각하면 조금 편할 것 같다. 그리고 최근엔 고층 아파트가 많이 생기고 있는데, 물론 고도제한구역이기 때문에 제2 롯데월드와 같은 초고층 빌딩은 짓지 못하겠지만 대부분의 아파트가 20층은 넘어가게 되니 그런 고층아파트의 고층에 살고 계신 분들은 아마 항공기의 소음이 더욱더 크게 느껴지실 수 있을 것 같다. 개인적인 생각으론 항공기를 더욱더 가까이서 볼 수 있기 때문에 즐거울 것 같긴 하지만 주민들의 고충 역시 이해는 한다. 필자도 올빼미족이기 때문에 늦게 자고 늦게 일어나는 편인데 김포공항은 아침 6시부터 이착륙 금지 시간이 해제되기 때문에 조금이라도 늦잠을 자기 위해서 가끔 잠들기 전에 내일은 제발 반대편 활주로로 이륙하게 해 주세요 라고 빌면서 잠이 들 때가 있기 때문이다.


자 오늘은 이렇게 항공기는 왜 항상 한쪽으로만 이착륙을 하지 않고 방향을 바꿔가며 이착륙을 하는지에 대해 알아보았다. 조금이라도 이 글을 보시는 독자 여러분의 궁금증이 해소되었길 바라본다. 최근 항공업계가 유래 없을 정도의 모진 일들을 많이 겪고 있기에 굉장히 마음이 아프면서 한편으로는 이 힘든 시기가 지나갔으면 좋겠다. 그동안 개인적으로도 여러 사정이 있어 집필 활동을 하지 못했는데, 종종 더욱 흥미로운 주제로 독자 여러분들을 찾아뵙도록 하겠습니다. 그럼 항공종사자들 모두 안비즐비 하시길 바라고 우리 모두 다시 힘차게 활주로를 박차고 날아오를 날을 진심으로 기원합니다.


Yes We can fly high once again!





keyword
작가의 이전글관제사님 저 어디로 가라고요...?