brunch

존과 지니의 릴로안 다이빙 여행 1

1일 차 - 카세레스 리프 (Caceres reef)

by 존과 지니

2020년 1월 18일


지난해의 플로리다 스쿠버 다이빙에서는 참 다양한 경험을 했다. 즐거웠던 다이빙이었지만 거센 조류, 지독하게 짧은 시야, 차가운 수온, 렉 다이빙 등등을 몇 번씩은 경험한 것 같다. 아직 초보 다이버이기 때문에 이런 상황에서 당황할 수밖에 없는데 이렇듯 세계 여러 곳에 가기 전에 조금 더 기본적인 다이빙 스킬을 늘리는 것은 필수적이다. 그래서, 번에는 좀 더 훈련을 할 겸해서 비용이 저렴한 필리핀 세부 근처의 지역들에서 다이빙을 진행할 예정이다.


이번 설 연휴에는 필리핀 세부 섬의 가장 남쪽인 릴로안에 스쿠버다이빙을 하러 가기로 했다. 릴로안은 세부 섬에서 가장 남쪽에 있는 지역이다. 막탄 공항으로 가서 차를 타고 3시간 정도 가야 하는 곳이다.


퇴근 후에 저녁 비행기를 타기 위해 부지런히 공항에 가서 체크인을 하고 출국 심사를 받는다. 반 캐리어 하나와 BCD가 든 배낭 두 개로 짐을 꾸렸는데 지니님에겐 배낭이 너무 무거운가 보다. 음부터는 편하게 캐리어 두 개로 가야겠다.


늘 그렇듯이 공항 라운지에서 저녁을 잔뜩 먹고 세부 퍼시픽 항공기를 탄다. 인천에서 세부까지 5시간 정도면 가는 거리지만 비행기가 꽤 작아 보인다.


컴컴한 밤하늘로 날아오른다. 다른 사람들보다 연휴를 일찍 시작한 덕분일까? 우리 뒤로도 빈자리가 있어서 지니님도 나도 각각 좌석을 한 줄씩 차지하고 편하게 간다. 세부 퍼시픽도 저가항공이라 물까지 돈 주고 사 먹어야 한다. 저녁을 배부르게 먹은 덕분에 다른 것을 더 먹을 필요는 없고 40페소를 주고 작은 생수를 하나 사 먹는다. 개인 스크린도 없고 의자도 젖혀지지 않으니 빈자리마저 없었으면 엄청 불편했으리라.


한숨 자고 일어나니 세부 막탄 공항에 착륙했다. 행기에서 내리니 습습한 공기가 느껴진다. 2년 만이구나. 세부야, 내가 돌아왔다.


2년이란 시간이 적은 시간은 아닌가 보다. 그 사이에 세부 공항도 확장해서 국제선 터미널이 새로 완공되었다고 한다.


입국 심사를 하는데 줄이 엄청 길다. 그나마도 조금 늦게 섰다면 훨씬 오래 걸릴 뻔했다. 우리가 줄 서고 얼마 안 있어 중국인들이 떼로 몰려와서 뒤에 잔뜩 선다. 입국장에 나갔더니 우리를 기다리는 현지인 픽업 기사가 바로 보인다. 픽업 기사님을 따라 승합차를 탔다. 차가 열심히 달렸는데도 워낙 멀고 길이 험해서 그런지 3시간이 걸려 릴로안에 도착했다. 확히는 릴로안 바로 경계 너머에 있는 칸루마카드 지역의 다이브 리조트다. 실은 꽤 깨끗하고 만족스럽다.


새벽 6시 반에 방을 배정받고 조금 쉬려니 오늘은 7시 반에 다이빙을 나간다고 한다. 첫날부터 이러기야? 비행기와 차에서 눈을 좀 붙인 덕분에 아예 못 잔 것은 아니지만 좀 멍하다.


리조트 객실이나 야외의 시설도 다이빙 리조트인 것을 생각하면 엄청 괜찮은 이고 리조트 앞바다의 풍경도 나쁘지 않다.


그리고, 이 리조트의 특징은 개가 많다는 것이다. 모두 합쳐 24마리나 되는 어마어마한 강아지들이 리조트 안에 살고 있다. 개를 싫어하는 사람이라면 사람 좋다고 몰려오는 놈들 때문에 꺼려질 것지만 우리처럼 강아지를 좋아하는 사람들이라면 즐겁게 머물 수 있을 것이다.


피곤한 몸으로 보트를 타러 간다. 우리 다이빙 장비는 이미 전달해서 배에 실어놓았다.


근처 바다에 꽤 커다란 방카가 하나 떠있는데 그 방카까지 보트로 이동한다.


아침밥도 안 먹고 그렇게 서둘러서 나가더니 아침 식사는 배에서 커피와 샌드위치로 먹는다. 부섬을 남쪽으로 돌아 해안선을 따라 가면 수밀론 섬이 보인다. 수밀론 섬을 지나서 더 간다. 꽤 멀다 보니 시간을 맞추기 위해서 아침 일찍 출발했나 보다.


리조트에 도착해서 플라스틱 박스에 다이빙 장비를 담아두면 이렇게 플라스틱 박스에 쓰인 번호와 같은 번호를 달고 장비가 세팅되어 있다. 옆에 보이는 다리는...


리조트 사장님이 2층에 앉아계신다. 인원수 많은 단체가 와서 그런지, 아직 우리와 친하지 않아서 그런지 우리에게 별말씀이 없으시다. 7시 반에 출발한다는 말만 듣고 어딜 가는지 아침밥은 어떻게 먹는지도 모르고 잠도 못 자고 끌려 나와 있는 셈이다.


다이빙 포인트에 도착해서 브리핑을 한다. 오늘 다이빙은 리조트에서 멀리 떨어진 편인 카세레스 리프(Caceres reef)에서 진행한다. 세레스 리프는 섬은 아니지만 해수면에 가까운 얕은 산호섬 같은 곳이다. 그리고 첫 번째 다이빙 시작이다.


2020년 1월 18일 Dive log #36
다이빙 포인트 : 카세레스 리프
입수 시간 9:01
출수 시간 9:43
평균 수심 15.7m
최대 수심 29.6m
수온 : 28°c


방카에서 시작하면 점프 입수한다. 여기 방카는 배 자체가 크다 보니 뛰어내리는 높이도 높아서 지니님이 좀 무섭다고 한다.


물속을 바라보니 꽤 맑다. 로 하강을 시작한다.


17명이라는 어마어마한 그룹이 있어서 사장님과 현지인 가이드는 그쪽을 맡고, 벤 강사님이 우리 가이드로 붙었다.


어이쿠, 후드도 안 가져온 지니님의 옥토퍼스가 날아다닌다. 자기 시야에서 벗어나는 장비 정리는 버디인 내가 해줘야지...


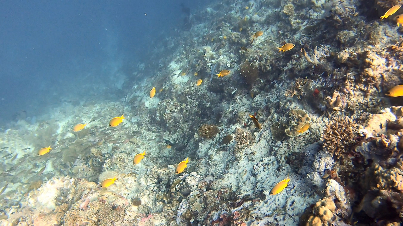
시야가 엄청 좋지는 않지만 이 정도면 충분하다. 깨끗한 바닷속에 작은 물고기들이 잔뜩 있다.


어린 검은점박이 스내치를 만났다. 어릴 때는 이렇게 날씬하구나. 도 어릴 때는 날씬했지...


Flathead 종류를 한 마리 찾았다. 이 녀석은 나름 열심히 숨어 있는 것 같은데 다 보인다.


두 녀석이 싸우고 있다. 노란 녀석은 싸움 구경 중...


나는 이상하게 그 흔하다는 클라운 아네모네 피쉬= 니모를 자주 못 보았는데 여기에서는 곳곳에서 눈에 띈다. 당연하지만 이 녀석들이 살 수 있는 집인 아네모네 말미잘이 있어야 이 녀석들이 보인다. 화려하면서 뭉툭하게 생겨서 귀엽다.


아까 커다란 말미잘에도 세 마리가 살았는데 이 작은 집에도 세 가족이 사는구나...


아직 공기가 꽤 남았는데 출수 준비다. 정도면 첫 다이빙은 성공적 듯하다.


이렇게 첫 다이빙을 무사히 마쳤다.

배 위에서 한 시간 정도 쉬고 두 번째 다이빙을 시작한다.


2020년 1월 18일 Dive log #37
S.i : 0:59 min
입수 시간 : 10: 43
잠수 시간 : 38 min
평균 수심 : 12.7m
최대 수심 : 27.0m
수온 : 28°c


힘차게 입수!


이번에는 월 다이빙에 가깝다. 왠지 물고기도 많지는 않고 조금 심심한 다이빙이었다.


두 번 다이빙했으니 12시다. 점심시간이다. 도시락으로 점심을 먹는다. 필리핀 사람들은 야채를 잘 안 먹는다고 하는데 현지인 스탭들이 만든 도시락에도 야채라고는 내가 잘 안 먹는 가지밖에 없다. 오뎅은 떡볶이 오뎅 같아 맛있고 해시브라운에 햄과 계란으로 간단하지만 맛있게 잘 먹었다.


다음 다이빙 전까지 소화할 시간이 필요하니 밥을 먹고도 넉넉하게 쉬었다. 하루 3 탱크를 하는 일정이라 이제 마지막 다이빙이 남았다. 세 번째 다이빙은 좀 더 얕은 수심에서 가볍게 진행한다.

2020년 1월 18일 Dive lotg #38
S.i : 1:38 min
입수 시간 : 13:59
잠수 시간 : 43 min
평균 수심 : 10.4m
최대 수심 : 17.5m
수온 : 29°c


20여 명이 물속에 들어가니 쉬지 않고 부지런히 들어가야 한다. 배가 큰 만큼 한 번에 수용할 수 있는 인원도 굉장하다.


얕은 수심에는 산호가 많고 빛이 잘 들어서 화사한 물고기들이 많다.


바다에 들어가면 하루 한 번 안 만나면 왠지 아쉬운 라이온피쉬를 만났다. 우리나라에서는 주로 제주도 근처 바다에 살아서 우리말로는 쏠배감펭이라는 독특한 이름이 붙어있다. 어원이 알려지지 않았다는데 뭔가 제주방언에서 온 듯한 이름이다.


노란 물고기들이 줄지어 다닌다. 유치원 아이들 등원하는 것 같다.


얕은 바다에서 배를 중심으로 크게 한 바퀴 둘러보고 바로 배로 올라간다.


멀리 간만큼 돌아오는데도 시간이 걸린다. 세부섬을 바라보면서 빙 돌아가는데 해변에 보이는 도로가 아마 우리가 픽업차로 지나갔던 곳일 테지... 캄캄한 밤이라 아무것도 안 보였지만.


리조트로 돌아왔다. 3 탱크만 하니 일정에 여유가 있는 듯하다. 딱 좋다. 두 탱크는 너무 여유롭고, 4 탱크는 너무 지친다. 세부에 왔으니 산 미구엘 맥주로 건배 한 번 한다.


맥주 마시는 중에도 근처를 살펴보면 이렇게 강아지들이 여기저기 숨어 있다.


이 리조트에서 자주 가는 포인트들을 보기 편하게 만들어 놓았다.


저녁은 삼겹살과 함께 뷔페식으로 나왔다. 살짝 필리핀 스타일이 가미된 음식이라 그런지 한식인 듯하지만 살짝 다른 맛이 있다.


저녁 먹고 첫 마사지를 받는다. 리조트 근처에 아무 가게도 없으니 출장 마사지로 객실에서 받는데 세부 시내보다 두 배 정도 비싼 1시간에 10달러다. 그래도 우리나라에서 받는 가격하고는 비교가 안 되게 저렴하니 오일 마사지로 2시간 받는다. 그러고도 아직 저녁 9시다. 오랜만의 산 미구엘 맥주를 한 잔씩 마신다. 우리나라에서 마시는 것과도 맛이 조금 다르다. 안주로 망고를 주문했는데 강아지 한 녀석이 얻어먹으려고 열심히 바라본다.


시간대가 우리나라보다 1시간 느리다. 잠을 제대로 못 잤으니 침대에 눕자마자 곯아떨어진다.


릴로안에서의 첫 다이빙은 만족스러웠다. 카세레스 리프는 다이버들이 가장 좋아하는 물고기 중 하나인 고래상어의 고향이라고 한다. 하지만, 요즘엔 근처 오슬롭에서 뿌려대는 사료를 먹기 위해서 고래상어들이 거의 오슬롭 근처에 머물기 때문에 카세레스에서는 볼 일이 많지는 않다고 한다. 오슬롭은 중국인도 바글바글거린다고 한다. 오늘은 멀리 나갔는데 다이브 리조트인 만큼 바로 앞바다도 괜찮을 것 같아서 궁금하다. 10일이라는 다이빙 기간이라면 어지간한 곳은 다 둘러볼 수 있겠지.

keyword
매거진의 이전글존과 지니의 플로리다 스쿠버 다이빙 여행 13