brunch

존과 지니의 릴로안 다이빙 여행 7

7일 차 - 아포 섬 (Apo island)

by 존과 지니

2020년 1월 24일


일어나 보니 날씨가 심상치 않은데... 오늘은 이 리조트에서 가장 멀리 가는 다이빙 사이트인 아포 섬(Apo island)으로 간다고 한다. 아마도 우리가 여기 리조트에 오는 손님 중에서는 길게 있는 편이라 대부분의 다이빙 포인트을 다녀왔으니 우리 때문에라도 한 번도 가지 않은 아포 섬을 가는 것 같다. 이렇게 멀리 갈 때는 일찍 출발해서 가는 도중에 샌드위치와 커피로 간단히 아침을 먹는다.


바다 건너 다른 섬인 두마게티 앞바다를 지나서 한참 가야 한다. 날은 흐리고 파도는 치고... 오늘 괜찮으려나...


구름이 조금 걷히고 해가 나면서 두마게티 위로 무지개까지 떴다. 방카가 신나게 달리더니 중간에 엔진이 고장 나서 퍼지는 바람에 고치느라 조금 지체되었다. 얼른 고치고 계속 달리니 아포 섬이 보인다.


다이빙하기 전에 배에서 브리핑이다. 아포 섬 근처는 체적으로 조류가 있는 편이라고 한다.

2020년 1월 24일 Dive log#54
입수 시간 : 8:50 am
잠수 시간 : 25 min
평균 수심 : 11.2m
최대 수심 : 21.4m
수온 : 27°c


조류가 있는 편이 에 들어가서 가만히 있다가는 일행하고 멀어질 수 있다. 배 위에 있던 사람들도 빠르게 입수한다.


모두 물에 들어오자마자 인원수 파악만 하고 바로 하강한다.


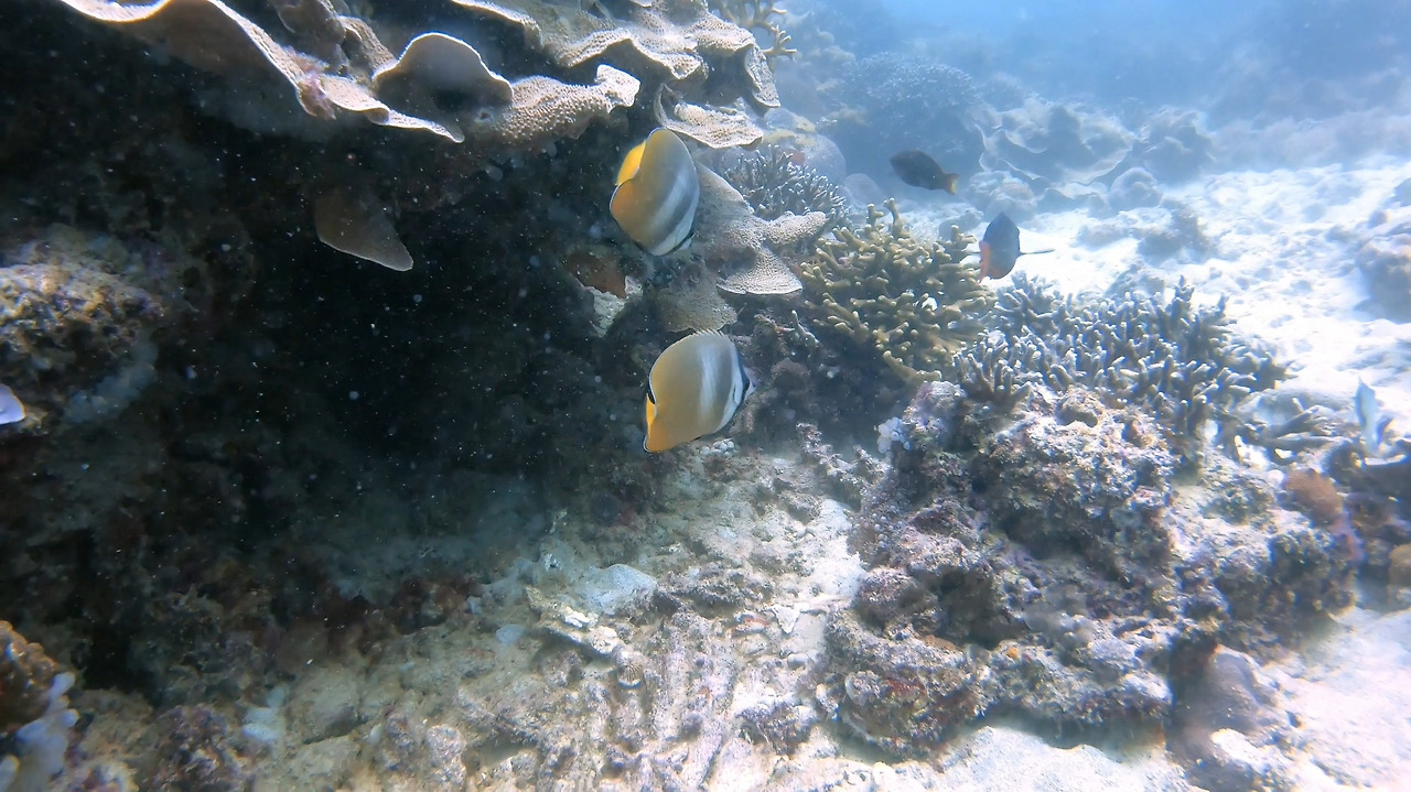
처음 보는 아포 섬... 시야는 안 좋은데 물고기들은 정말 많다. 야가 좋을 때 오면 정말 환상적일 것 같다. 리핀 전역에서도 손꼽히는 다이빙 명소라고 하는데 2월의 필리핀 바다 상태는 어쩔 수 없다. 지금 막탄 쪽은 더 안 좋다고 하니 이 정도로 만족한다.


이게 다 물고기들이다. 바글바글하다.


조류에 둥둥 밀려다니면서 자잘한 물고기만 잔뜩 보았다. 조류가 빠르게 흘러서 그런지 출수 포인트에 빠르게 다다랐다. 여기서 그냥 흘러갈 수도 없으니 30분도 안 되어 출수했다.


2020년 1월 24일 Dive log#55
S.i 0:51 min
입수 시간 : 10:07 am
잠수 시간 : 40 min
평균 수심 : 15.4m
최대 수심 : 23.2m
수온 : 27°c


이번에도 빠른 입수다. 지니님이 먼저 뛰어내리고 어느 정도 이동해서 내가 뛰어들 자리가 생기자마자 바로 나도 내려간다.


물 위에서 준비하자마자 또 하강 시작이다. 꺼끌복이 한 마리 보인다.


시야가 조금 안 좋으니 멀리 있는 물고기들은 잘 안 보인다. 코르넷 피시라도 눈에 띄었으니 다가가 본다.


이 녀석들도 만날 때마다 무늬가 다른 녀석들이 많다. 이렇게 길쭉한 물고기부터 온갖 종류의 생물들은 무엇 때문에 이렇게 다양하게 존재하는 것인지가 궁금하다.


코르넷피쉬도 슬그머니 도망가는데 그 뒤로도 다양한 물고기들이 보인다.


블랙 담셀피쉬(Black Damselfish)도 흔하게 보이지만 무언가 매력적인 녀석이다.


대단한 녀석들은 없었지만 물고기만큼은 다양하게 본 것 같다. 출수해서 나왔더니 점심시간이 살짝 애매하다. 바다 상태도 점점 안 좋아지는 듯하다. 오늘도 후딱 3 탱크 다 뛰고 점심을 먹어야겠다. 넉넉하게 쉬다가 마지막 다이빙을 시작한다.

2020년 1월 24일 Dive log#56
S.i 1:16 min
입수 시간 : 12:02pm
잠수 시간 : 46 min
평균 수심 : 14.0m
최대 수심 : 20.1m
수온 : 27°c


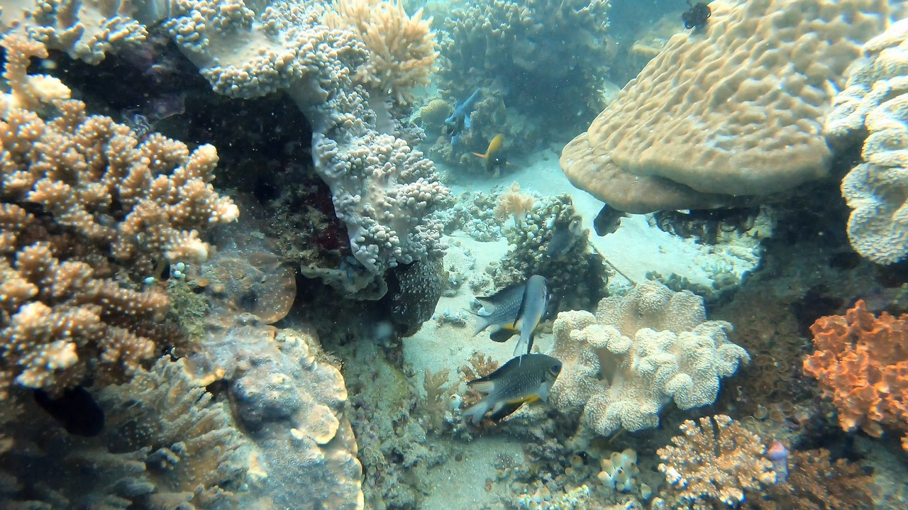
물속에 들어가니 꽤 큼직한 할리퀸 스위트립스(harlequin sweetlips) 두 마리가 함께 움직인다. 늬까지 똑같이 생긴 녀석들이 똑같이 움직인다. 이 할리퀸 스위트립스들은 어릴 때와 성체의 모습이 전혀 다르다고 한다.


아까 봤던 녀석과는 무늬가 조금 다른 코르넷 피쉬를 만났다. 더 크고 화려한 트럼펫 피쉬도 보고 싶은데...


물뱀이 저 밑에 지나간다. 이 근처 바다에서는 꽤 자주 보인다.


바다거북이 쉬고 있다가 우리가 다가가니 귀찮은지 슬슬 일어나서 떠나가버린다.


뭐가 있나 돌 틈을 살펴보니 멍멍이를 만났다.


물고기들이 계속 스쳐 지나가는데 다 다른 종류들이다.


버터플라이 피쉬가 지나가고


이 녀석은 서젼피쉬(Surgeon fish)인가...


그 뒤로 배너피쉬가 쫓아간다.


Squirrefish도 여기저기 보이고...


리자드피쉬와 해삼이 같이 있다.


조금 이동하니 산호들이 사라지고 모래사장이 나타난다. 모래 속에서 거품이 올라온다. 래 속에 무언가 살면서 숨 쉬면서 생기는 기포가 아니라 화산가스가 올라오는 곳이라고 한다. .. 그러고보니 여기서 500km 떨어진 마닐라 근처는 화산 폭발로 난리였지.


여기저기 잘 보면 작은 생물들이 많다. 눈 크게 뜨고 찾으면 자주 나타나는 필리디아도 만난다. 누디브랜치의 일종인 필리디아는 스크램블드 에그 누디라고도 한다.


파이프 버그들도 다양하게 있고...


코르넷 피쉬가 아닌 화려한 트럼펫피쉬가 보였는데 가까이 가볼 수가 없었다.


색이 화려한 물뱀 한 마리가 지니님 아래로 지나간다. 뱀들은 바닷속에 살지만 수분 보충을 위해서는 민물을 먹어야 한다고 한다.


세 번의 다이빙을 모두 마치고 아포 섬을 바라보며 점심을 먹는다. 이 맑으니 섬 풍경이 아름답다. 아포 섬 앞바다에는 스노클링 하는 사람들이 꽤 있다.


아포 섬에는 티셔츠 파는 보따리장수들이 있다. 배마다 옮겨 다니면서 아포 섬이 프린트된 티셔츠를 판다. 250페소라고 했던가... 우리나라 돈으로 5000원이 좀 넘는 가격인데 필리핀 물가로는 어마어마하게 비싼 것이다. 난 면티를 잘 안 입으니 다른 사람들 사는 거나 구경한다.


티셔츠를 다 팔고 나면 다른 배로 옮겨가고... 이 티셔츠 판매하는 것이 여기 주민들의 주 소득원이라고 한다.


아포 섬의 작은 마을 앞에는 우리 말고도 다양한 배들이 들어와 있다.


다이빙도 끝나고 점심도 먹었으니 다시 먼 길을 달려서 리조트로 돌아온다. 오늘 저녁도 삼겹살 쌈이다.


리조트 구석에는 2m 깊이의 풀장이 있는데 이 리조트에서 교육을 받으면 첫날 오픈워터 교육을 여기서 한다. 그리고, 밤이 되어 어두워지면 풀장 근처에 반딧불이들이 날아다닌다.


날이 맑아졌으니 밤하늘에 별들도 잘 보인다. 밤하늘에 별들이 많으면 기분이 좋다.


이제 아포 섬까지 갔다 왔으니 릴로안 근처의 어지간한 포인트는 다 가본 셈이다. 아포 섬은 아주 멋진 곳인 듯한데 오늘은 바다 환경이 그리 좋지는 않아 조금 아쉽다. 다음 번에 바다가 잔잔할 때에 맞춰서 한두 번쯤은 다시 가봐도 좋을 것 같다.




keyword