brunch

존과 지니의 릴로안 다이빙 여행 8

8일 차 - 수밀론 섬 (Sumilon island) 3

by 존과 지니

2020년 1월 25일


이번 다이빙 여행도 후반부다. 오늘과 내일 이틀의 다이빙이 남았고 이곳 생활에 꽤나 적응해버린 것 같다. 일어나서 밖으로 나오면 따라붙는 강아지들, 때가 되면 차려지는 식사, 친해진 스탭들...


요즘 항상 아침 먹으면서 멀미약도 먹는다. 약 한 알 먹고 하루 종일 편안하다면 예방 차원에서 먹는 게 낫지.


아침 먹고 조금 쉬었다가 출발 전 브리핑이다. 오늘은 수밀론 섬에 간다고 한다. 이미 두 번을 가서 이제 꽤 익숙해진 곳이지만 그날그날이 모두 다른 느낌이다.

2020년 1월 25일 Dive log#57
입수 시간 : 09:46 am
잠수 시간 : 36 min
평균 수심 : 16.7m
최대 수심 : 25.9m
수온 : 27°c


준비하고 입수한다. 오늘은 뭘 볼 수 있을까?


이 동네에서 가장 흔한 녀석들인 투 스팟 밴디드 스내퍼(two spot banded snapper)이 몰려다닌다. 흔하지만 독특한 무늬 때문에 떼로 몰려다니는 게 볼만하다.


진한 색의 말미잘에 진한 색의 클라크 아네모네피쉬가 터를 잡았다. 흰 목도리 때문에 눈에 잘 띈다.


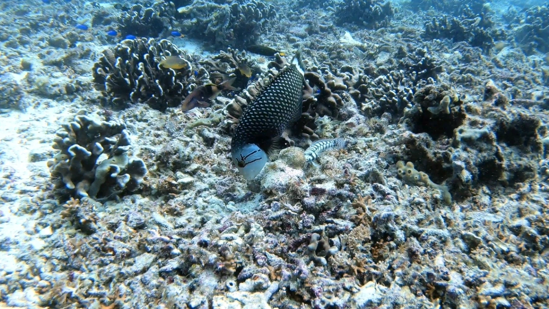
꺼끌복이 바닥에 엎드려 쉬다가 내가 다가가니 도망가려고 한다. 편하게 쉬라고 자리를 피해 준다.


시야가 썩 좋지는 않다. 수면 쪽을 봐도 해저 쪽을 봐도 뿌옇다.



출수해서 잠시 쉬었다가 두 번째 다이빙을 시작한다.



2020년 1월 25일 Dive log#58
S.i 0:48 min
입수 시간 : 11:15 am
잠수 시간 : 41 min
평균 수심 : 11.0m
최대 수심 : 17.7m
수온 : 28°c



드래곤레이스(Dragon wrasse) 한 녀석이 바닥을 쪼고 있다. 근처에 몰려든 다른 녀석들은 콩고물이라도 떨어지는 걸 먹고 있는 듯한데... 도대체 뭘 먹는지 모르겠다. 쟤네 흙 먹는다.


귀여운 아네모네 피쉬들도 보인다. 아네모네 피쉬들도 종류가 워낙 많아서 니모 같은 녀석보단 조금씩 무늬가 다른 녀석들이 대부분이다.


피라미드 버터플라이피쉬(Pyramid butterfly fish) 무리가 내 앞에서 꼬리를 친다. 내가 가는 방향으로 지그재그로 헤엄치니 꽤 가까이서 볼 수 있다. 선명하게 대비되는 흰 몸통과 노란 지느러미가 귀엽다.


바위틈에 스콜피온 피쉬 있다. 까만 녀석과 하얀 녀석. 이 녀석들도 쏨뱅이들이라 등지느러미에 독이 있다고 한다. 쏨뱅이 종류가 독을 지닌 것은 느긋하게 퍼져있으려는 게으른 습성 때문이라고 한다. 프로그피쉬, 라이언피쉬, 스톤피쉬 등등 이 종류들은 헤엄치는 게 느리고 한 군데 퍼져 있는 경우가 많다.


사실 까만 녀석을 보는데 정신이 팔려 있다가 도망가는 걸 보고 두 녀석인지 알았다.


도망가봐야 바로 근처다. 흰 녀석은 정말 주변과 잘 어울린다.


뿔소라들도 종종 보인다. 투박하게 생긴 오래된 껍데기를 뒤집으면 의외로 빈 껍질이 아닌 살아있는 녀석들이다.


슬슬 점심시간이니 밥 먹으러 가야겠다. 김밥에 라면이라고 지니님이 기대가 크다. 하지만, 나는 라면 자체를 그리 안 좋아하기 때문에 김밥에 라면으로 끼니를 때우는 게만 한 번 쯤은 나쁘지 않다. 후식으로 망고도 있으니 좋다.


점심을 먹고 충분히 쉰 다음에 마지막 다이빙을 시작한다.

2020년 1월 25일 Dive log#59
S.i 1:15 min
입수 시간 : 13:12
잠수 시간 : 26 min
평균 수심 : 17.5m
최대 수심 : 21.2m
수온 : 28°c



물속에 들어가니 자주 보았던 자전거 타이어 같은 것이 보인다. 전에 몇 번 왔던 곳이다. 꽤 큰 블랙팁 상어가 멀리 보였는데 도망가버린다.



해저면을 따라서 물고기들이 띠를 이루듯이 모여 헤엄친다. 대부분 스내퍼와 푸실리어들이다.


블랙 담셀피쉬들 사이에 옐로 박스피쉬가 보인다. 내가 다가가니 부리나케 도망가버린다.



무리쉬 아이돌 무리가 나타났다. 역시 아이돌은 떼로 몰려다니는게 유행인가보다.


말미잘이 작은데 이 녀석들은 비좁지도 않은가?


이렇게 오늘도 세 번의 다이빙이 끝나고 일찌감치 리조트로 돌아왔다. 오늘의 여유 시간에는 무얼 할까?


그동안 시간이 애매해서 못 시켜먹은 하로하로를 주문한다. 하로하로는 파르페와 빙수 비슷한 것으로 우유와 얼음에 이것저것 다양한 재료들을 섞어 만든 필리핀 디저트다. 나는 처음 먹어보는데 맛있다.


먹고 좀 쉬니 저녁 시간이다. 이것저것 다양하게 먹는다. 딱히 대단히 맛있는 것은 없지만 거의 준 뷔페급으로 차려진 음식들은 조금씩만 맛봐도 금방 배부르다. 이래서 이 리조트 후기들을 보면 살쪄서 나간다거나 완벽한 사육이라는 평들이 많다.


다이빙하고 들어와서 저녁 먹고 마사지하고 자는 일상이 계속된다. 이번이 수밀론 섬 3번째 다이빙, 횟수로는 9 탱크를 다이빙했는데 갈 때마다 다른 모습을 느낀다. 바다는 시시각각 변하니 겨우 몇 번 다녀왔다고 그 바다의 전부를 알 수는 없는 것이다. 이래서, 스쿠버 다이빙은 지루할 틈이 없다.

keyword