brunch

직접 만드는 어류 도감 - 필리핀 세부 릴로안

세부 릴로안의 수중 생물들

by 존과 지니


과 지니는 스쿠버 다이빙을 갈 때, 지역을 크게 이동하지 않고 일주일 정도 한 지역에서 머물면서 다이빙을 즐기기 때문에 그 지역의 다양한 물고기를 만난다. 이번에는 우리나라의 스쿠버다이버들에게 가장 접근성이 좋은 필리핀 세부의 수중 생물들을 정리하여, 수중에서 만나는 물고기들을 쉽게 찾아볼 수 있도록 이 글을 작성한다.


이번 2020년 1월 필리핀 세부 남쪽 릴로안 지역에서 만난 수중 생물들을 담았다.




잭 피쉬(Jack fish) - 수밀론 섬 맘사 포인트

잭 피쉬는 필리핀 말로 맘사(Mamsa)라고 한다. 우리나라 말로는 전갱이.


푸른 바다거북(green sea turtle) - 릴로안 앞바다


롱핀 스페이드피쉬 (longfin spadefish)

소규모로 무리 지어 다님. 엔젤피쉬나 버터플라이피쉬보다 덩치가 크고 입도 더 크다.


쉬림프 피쉬(shrimpfish) - 릴로안 앞바다.

머리를 아래쪽으로 향하고 물구나무선 것 같이 헤엄침


곰치 (moray eel) - 릴로안 앞바다

B24mQ4_SbthEYHqSxw1jWtrNIVo.jpeg_brunch.png


리본 장어 (ribbon eel) - 릴로안 앞바다

소형 곰치류, 자라면서 검은색, 파란색, 노란색 순으로 색이 바뀌며 파란색일 때는 수컷, 노란색일 때는 암컷으로 성별도 바뀜.


바다뱀(sea snake) - 릴로안 앞바다, 수밀론 섬

코브라아과의 맹독성 독사지만 공격성은 약함.


검은 점박이 복어 (Black spotted puffer fish) - 릴로안 앞바다, 수밀론 섬

개 얼굴과 비슷하게 생겨서 dog faced puffer fish라고도 함. 다이버들 사이에서는 통칭 멍멍이고도 부름. 릴로안 인근에서 흔하게 보임


꺼끌복(star puffer fish) - 릴로안 앞바다, 수밀론 섬

무늬나 패턴이 다양해서 좀 더 세분하기도 하지만 꺼끌복으로 통칭할 수 있음. 릴로안 일대에서 흔하게 보임.


자이언트 트리거 피쉬 (giant trigger fish) - 수밀론 섬

덩치가 크고 생긴 것도 험상궂은데 산란기에는 공격성도 강해서 가까이 접근하지 않는 것이 좋음.


클라운 트리거피쉬 (clown triggerfish)


클라운피쉬(clownfish) - 수밀론 섬

통칭 니모라고 불리며 말미잘(Sea anemone)과 공생하며 살기 때문에 아네모네 피쉬고도 한다. 큰 말미잘 하나에 덩치가 큰 암컷 한 마리, 작은 수컷 한 마리, 어린 개체 여러 마리가 집단을 이루어 서식함. 우리 말로는 흰동가리라고 한다. 무늬에 따라서 다양하게 분류되는데 모두 흰동가리로 총칭함.


스콜피온 피쉬 (Scorpion fish) - 수밀론 섬

쏨뱅이과를 총칭하는 스콜피온 피쉬는 등지느러미에 독성이 매우 강한 독가시가 있다. 라이온피쉬(쏠배감펭)처럼 화려한 것이 있는가 하면 이렇게 보호색 때문에 눈에 잘 띄지 않는 종류도 많다.


라이온 피쉬( lion fish)

우리말로는 쏠배감펭라 하며 천적이 거의 없어 열대바다 어디서든 볼 수 있음.


프로그 피쉬(Frog fish) - 릴로안 앞바다

프로그피쉬는 씬벵이 종류에 속하는 매우 특징적인 녀석들이다. 몸의 색을 바꿔 위장할 수 있어 천적과 먹이의 눈을 피할 수 있다. 매우 느리게 움직이기 때문에 한 번 발견하면 그 근처에서 며칠을 볼 수 있다. 하지만, 먹이를 잡아먹을 때의 입놀림은 엄청나게 빠르다.


드래곤 스(dragon wrasse) - 밀론 섬

산호 조각이나 돌조각을 물어 올리는 동작을 반복하면서 먹이를 찾는 물고기다.


투 스팟 밴디드 스내치 - 릴로안 앞바다, 수밀론 섬, 카세레스 리프 등등 매우 흔하게 볼 수 있다.


옐로 테일 퓨실리어 (yellow tail fusilier) - 릴로안 앞바다, 수밀론 섬, 카세레스 리프 등등 매우 흔하게 볼 수 있다.


무리쉬 아이돌 (moorish idol) - 수밀론 섬

생김새가 엔젤피쉬에 가깝지만 분류학적으로 서전 피쉬 계통에 가까운 아름다운 물고기다.


피라미드 버터플라이 피쉬 (pyramid butterfly fish) - 수밀론 섬


바이 칼라 엔젤 피쉬 (bicolor angel fish)- 카세레스 리프


쓰리 스팟티드 엔젤 피쉬(three spotted angel fish) - 수밀론 섬

주로 돌 틈이나 테이블 산호 아래에서 발견됨


맨티스 쉬림프 (mantis shrimp)

집게발이 없는 것처럼 보이나 사마귀처럼 한데로 모은 집게를 가지고 있음. 갯가재가 이 종류에 속함.


할리퀸 스위트 립스(Harlequin sweetlips) - 아포 섬


코넷 피쉬 (cornet fish) - 수밀론 섬, 아포 섬 등 릴로안 인근

노란색의 트럼펫 피쉬와 비슷하게 생겼으면서 작은 물고기라 이름도 트럼펫과 비슷하면서 작은 악기인 cornet을 붙임


빨판상어 - 릴로안 앞바다

보통 바다거북이나 대형 수중 생물에 붙어 다니는데 가끔 떨어져 나온 개체가 있음. 이름은 빨판상어지만 농어목에 속한다. 스쿠버 다이버에게 달라붙는 경우도 종종 있다고 한다.


누디 브랜치 (nudibranch) - 릴로안 앞바다, 수밀론 섬

우리말로는 갯민숭달팽이라 함. 다양한 형태의 갯민숭달팽이들의 총칭으로 세부에서는 사진과 같은 크로모도리스나 필리디아를 자주 볼 수 있음


캣피쉬, 쏠종개 (cat fish) - 릴로안 앞바다

성체는 맹독이 있는 물고기이지만 독이 없는 어린 개체들은 수십 마리가 무리 지어 뭉쳐 있음


리틀 드래곤피쉬 (little dragonfish) - 릴로안 앞바다

실고기목의 작은 물고기로 모래바닥을 기어 다닌다. 보통 한 쌍으로 둘이 다닐 때가 많다.


블랙팁 상어 (blacktip shark)

산호초 부근에서 자주 출몰하나 공격성이 없고 다이버에게 잘 접근하지 않음


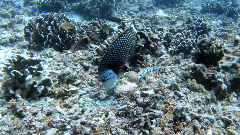
옐로 박스 피쉬 (yello boxfish)

거북복과에 속하며 공격을 받으면 피부에서 복어독을 분비한다. 어린 개체는 밝은 노란색을 띠며 산호초 틈에 숨어 산다.


갑오징어(cuttlefish) - 릴로안 앞바다

몸통은 오징어보다 통통하고 짧은 다리를 가짐


벤트스틱 파이프피쉬 (bentstick pipe fish) - 릴로안 앞바다

해초와 비슷하게 생기고 움직임이 적어서 멀리서는 구별이 어려움


블루 앤 그린 크로미스 (blue and green chromis)

세부 전역의 테이블 산호 군락에서 쉽게 발견할 수 있음


가시 왕관 불가사리 - 카세레스 리프

천적이 없고 산호나 작은 생물들을 닥치는 대로 먹어치워 산호초를 파괴하고 가시에 독이 있어 다이버들에게도 위험다.


릴로안에서 화이트팁 샤크, 고래상어 등을 만날 수 있지만 우리는 운이 없었는지 만나지 못했다. 이외의 특이한 수중생물들을 만나게 된다면 아마도 함께 하는 가이드가 어떤 어종인지 알려줄 것이다.




이 브런치의 다른 글들과 마찬가지로 사진과 내용에 대한 저작권은 '존과 지니'에게 있음. 내용과 사진의 무단 사용을 금함

keyword