brunch

팥죽과 물김치&도미, 숭어회

2/12

by 관지

비 오는 아침, 새알심 넣고 팥죽 진하게 끓이고 새콤하게 익은 물김치하고 먹다.


점심은 오랜만에 회관에 모여 함께 식사. 숭어와 도미회도 반가웠지만 외지에 나가있던 식구들이 들어와 더 좋았다. 모처럼 시끌벅적.


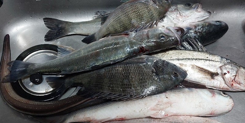
갓 잡은 생선 나눠주심. 손질하면서 처음 주셨을 때 생각이 났다. 싱크대에 져놓고 죽을 때를 심란하게 기다던... 그러다 한 번씩 팔딱거리면 깜짝깜짝 놀래고.


지금은 그저 주시면 반갑고 고마움.

매거진의 이전글식빵과 사과 & 새알심미역국