경포에서의 즐거운 바다낚시

황어의 손 맛이 정말 끝내줘요~

by 최고야

S모텔에 취업한 후 1달 정도 지나자 일이 어느 정도 손에 익으면서 하루에 객실 13개 정도는 거뜬히 청소할 수 있게 되었다. 오후 3시경에 모든 청소가 끝나면 그다음부턴 자유시간이다.

처음엔 경포해변에 있는 흔들의자에 앉아 넘실대는 파도와 오가는 사람들을 한참 구경하다가 아름다운 경포호수 주위를 산책하러 나갔는데 한 바퀴 도는데 1시간 정도 걸리는 아주 훌륭한 코스였다. 많은 사람들이 산책도 하고 조깅도 하고 자전거도 타면서 한가롭고 평화로운 시간을 즐긴다. 중간중간에 스토리가 있는 조각공원도 있고 가시연꽃 재배지와 습지공원이 잘 조성되어 있고 참소리 박물관과 허균 기념관이 있어 좋은 볼거리도 제공해 준다.


20200923_161828.jpg
20200923_161443.jpg
20201013_153126.jpg
20210721_182916.jpg
20210519_191446.jpg
20201013_153149.jpg
20210729_172624.jpg
20210720_171237.jpg


다음엔 걸어서 약 15분 거리에 있는 강문해변으로 나가보았다. 알록달록 조명이 예쁜 솟대다리를 지나니 방파제에서 원투낚시를 하는 사람들이 눈에 들어왔다. 특히 횟집 앞 데크 위에서는 낚싯대를 드리워놓고 식사를 하는 장면이 인상적이었다. 딸랑딸랑 방울소리가 들리면 챔질을 하는데 큼지막한 황어가 끌려 올라온다. 황어는 잉어와 숭어과의 물고기로 바닷물과 민물이 만나는 곳에서 산다고 한다.


이제 정보를 입수했으니 우리도 낚시채비를 챙겨 실행에 옮겨보기로 한다. 근처 낚시점에서 미끼로 갯지렁이를 사고 평평하고 안전한 데크 위에 자리를 잡는다. 방파제 테트라포트 위에서 하는 낚시는 위험하기도 하고 힘들기도 하고 오래 서있을 자신이 없어서 우린 편하게 낚시를 즐기기 위한 장소를 정한 것이다.


20200913_173816.jpg
20201106_165510.jpg
20200918_193337.jpg
20200918_200057.jpg
20201029_095912.jpg


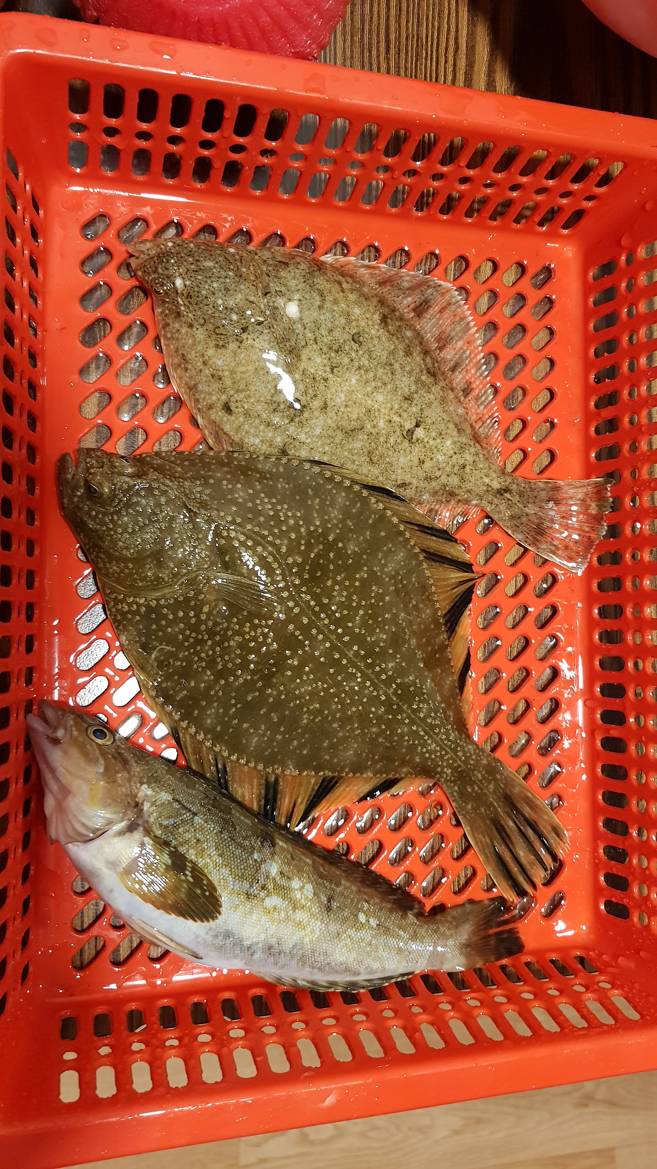
첫 고기로 망둥어를 잡아내고 잠시 후 아내 앨다가 황어를 끌어올리며 흥분하여 소리를 마구 질러댄다. 비린내가 많이 나고 잔가시가 많아서 별로 인기가 없는 생선인데 힘이 좋아 손맛은 끝내준다. 강릉에 와서 처음 해본 재미있는 낚시였다.




그 후로 일만 끝나면 낚싯대를 챙겨 들고 강문해변으로 향했다. 데크 위에서 하는 낚시가 단조롭게 느껴지면 좀 더 넓은 장소로 옮겨 낚싯대를 던졌다. 오후 4시쯤 시작하여 편의점에서 컵우동을 사서 저녁으로 먹으며 9시 반까지 낚시를 하기도 했다. 황어와 놀래미, 망둥어 등을 잡기도 하고 어떤 날은 도다리, 가자미, 고등어 등을 잡아서 구워먹거나 회를 떠먹고 매운탕을 끓여 먹기도 했다.


20210604_221210.jpg
20210603_082950.jpg
20201030_221550.jpg
20201106_223134.jpg
20201231_193403.jpg


그러다가 인터넷으로 근처 사천항에서 고등어와 전어 낚시를 한다는 정보를 입수하고는 오후 3시에 출발하여 약 1시간 20분 정도를 걸어가 드디어 사천항에 도착했는데 막상 인터넷에서 보았던 낚시 포인트를 찾지 못하고 그냥 내항에서 낚싯대를 던졌는데 아주 커다란 황어를 한 마리 올렸다. 나중에서야 포인트를 찾았는데 오후 7시 후에는 출입이 통제된다고 하여 쓸쓸히 발길을 돌렸다.


얼마 전에는 도보로 약 1시간 거리에 있는 강릉항에서 도루묵 낚시를 하여 알이 꽉 찬 도루묵 11마리를 잡았다. 해가 진 후에 더 많이 잡힌다고 하는데 바람이 강하게 불고 너무 추워서 아쉽지만 철수하였다. 숙소에 가지고 돌아와 다음날 아침에 도루묵찌개를 끓여 먹었는데 그 맛이 그야말로 환상적이었다.


20201216_162900.jpg
20201217_180550.jpg
20201218_091357.jpg
[강릉 안목항 도루묵 낚시]


아는 이 하나없는 낯선 강릉에 와서 모텔 청소일을 하다보니 평소 엄두도 못내던 별별 체험을 다하게 된다.

다음엔 어디로 가서 또 어떤 고기를 잡아볼까나...^^




[나의 브런치북]


keyword
이전 08화모텔에서의 청소 일과 및 반갑지 않은 손님