폭풍전야

태풍 '힌남노' 마주하기 전

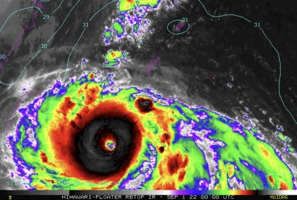
초강력 태풍 힌남노가 온단다.

위성 영상만 봐도 세력을 이보다 더 키워서 변을 집어삼킬듯한 기세다. 눈이 무섭다. 이 친구가 지나갈 자리들이 얼마나 파괴가 될지 정확히 판단되지 않는다.

태풍센터 예측 힌남노 최대풍속, 반경, 이동속도 등
태풍이 불면
해수면에 사는
물고기들은 잔치를 한다.
태풍은 해저의 차갑고 풍부한 영양분을
해수면으로 들어 올리는
소중한 기회가 되기 때문이다.

자연생태계에서 태풍과 같은 교란도
적당한 빈도로 필요하다.
이것을 생태계의
‘중간 교란 가설
(intermediate disturbance hypothesis)’이라 한다.
- 김기찬 교수 ㅡ

분명 태풍이 많은 인명과 재산피해를 줄 것이지만 다른 자연적인 관점에서는 적당한 빈도로는 필요하다고 한다.


그러나 사진처럼 이번 힌남노는 경로도 규모도 속도도 지금 까짓것들과 다른 싸함이 강하다.

한반도 주변 해수면 온도가 뜨겁다.

온통 시뻘겋다. 태풍에게는 좋은 먹이감이다.


연신 뜬 기사들은

태풍 힌남노에 대해 희망적이지 않다.

그냥 선만 봐도 절대 안정적이지 못한 상태.

상층의 기류도 태풍의 영향을 피하진 못하나.


태풍 2003년 매미

우리나라를 강타해 엄청난 인명과 재산 피해를 줬던 2003년 태풍 [매미] 보다 더 강할 거란 식들


삶의 스펙트럼과 확률을 정확히 잘 모르듯

이런 과학적 수치와 예측들이 빗나가주길.

기상청 울 선배님의 고생이 보인다.

그들의 보이지 않는 Unsung hero 오늘도 밤새며 대기타고 있으시겠구나

모두가 덜 힘들게 태풍이 지나가주길


keyword