brunch

아니, 이제는 또 전설의 보물섬이라고?

다이빙 여행 | 코코스 아일랜드 - 4

by 탱강사

굳이 한국에서부터 손꼽지 않더라도 멀고멀고 긴 여정에 대한 보상이라도 바라듯이, 모두들 아침 일찍 일어났다.


신비에 가려져 있다는 원시의 섬이 어떤 모습인지 궁금해서 배 위로 올라와 새벽 풍경을 둘러보았지만, 섬이 보일 뿐, 아직 잘 모르겠다. 뭐, 몇 천만 년 전의 풍경이 이랬을지도 모르지.


P1000549.JPG 원시 시대의 느낌을 보여 주던 새. 이름은 모르겠다...


이제부턴 정말로 코코스 다이빙의 일정이 시작된다.


코코스 섬은 공식적으로 무인도라고 하지만, 섬을 지키는 공무 직원 Ranger들이 살고 있다. 아침에는 이들이 배에 올라와 다이빙 일정 동안의 주의점들을 알려준다. 식당에 모여 비디오 영상을 보면서 듣는 안내 중에 제일 인상적이었던 것은 "보물찾기 금지"라는 것이었다. 이 말이 나오자마자 모두들 웃었는데, 이게 농담이 아닌 것이, 코코스 섬은 아주 오랫동안 전설의 "보물섬"으로 알려져 왔다고 한다.


외발이 실버 선장이 나오는 소설 보물섬이 코코스 섬을 모티브로 했다는 얘기도 있고, 갖가지 해적과 보물을 숨겨둔 곳이라는 이야기가 이어져, 실제로도 많은 보물 사냥꾼들이 섬을 뒤지고 다니는 일이 많았다고 한다. 그래서 무슨 결과를 얻었는지는 얘기하지 않았지만, 공식적으로 보물찾기는 금지되어 있으니 절대로 그런 시도는 하지 말라고 한다. 허헛... 하지 말라고 그러면 호기심이 샘솟는 것이 사람 심리인 것인지...


Screenshot_20200216-084813_Chrome.jpg
Screenshot_20200216-084915_Chrome.jpg
Screenshot_20200216-084906_Chrome.jpg
포브스 같은 매체에서도 다룰 정도로 유명한 코코스의 보물 이야기. 심지어 불과 몇 년 전에 2억달러어치 보물이 발견되었다는 기사까지 있다.


드디어 다이빙! 항상 그렇듯이 첫 다이빙은 체크 다이빙으로 시작한다. 얕고 잔잔하고, 또... 그다지 볼 게 없는... 그런 첫 다이빙?


...이 될 줄 알았는데 그렇지는 않았다. 지금까지 해 본 다이빙 중에서 제일 평화로웠던 다이빙이랄까? 특히 이 구역에서 다이빙하는 사람들이 우리들 뿐이라는 것. 물도 따뜻하고 조류도 없고 물고기들도 아주아주 많아서 마치 빈 속을 달래는 참기름과 간장 향이 살짝 나는 미음처럼 먼 길을 와서 하는 첫 다이빙으로는 훌륭했다.


SANY0016.MP4_20200216_115625.283.jpg 곳곳에 쉬고 있는 리프상어들. 상당수는 지느러미에 연구를 위한 태그가 붙어 있다.
SANY0022.MP4_20200216_120153.967.jpg 커다란 닭새우들. 우리가 지나가도 숨지도 않고 뽈뽈뽈 기어 나오더라.
SANY0033.MP4_20200216_120557.006.jpg
SANY0023.MP4_20200216_120217.304.jpg
SANY0010.MP4_20200216_121033.372.jpg
SANY0018.MP4_20200216_115918.637.jpg
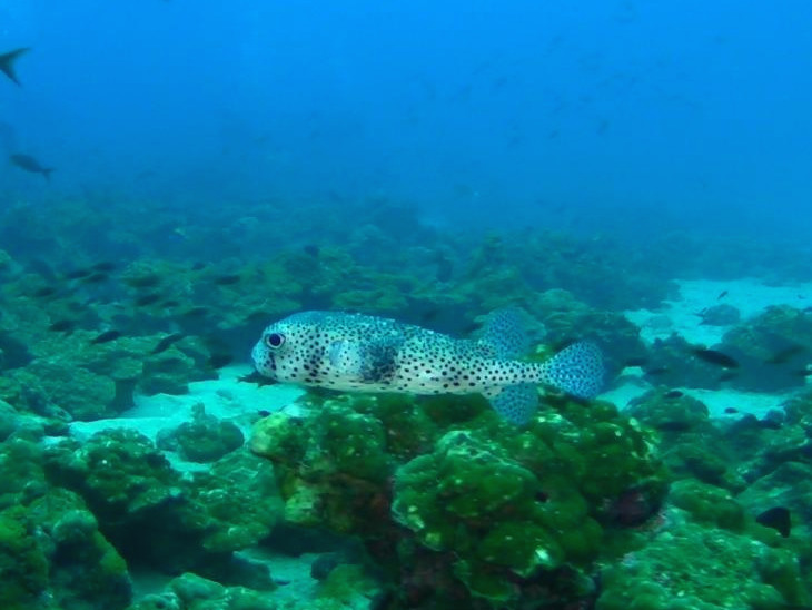
여러 가지 모양과 색깔의 복어들이 많았다.
SANY0035.MP4_20200216_120656.126.jpg 동남아 바다에서는 본 적 없는 Razor Surgeonfish
SANY0030.MP4_20200216_120507.134.jpg 조금 넓은 바다로 나왔더니 커다란 Marble Ray들이 떼거지로 몰려 우리 앞을 지나다녔다.
SANY0041.MP4_20200216_120934.301.jpg 먼발치에서만 보고 말았던 귀상어 Hammerhead Shark. 아직 시간이 있으니 제대로 볼 날이 오겠지.


우리의 다이빙은 두 개의 팀으로 나누어 진행되었는데, 다른 쪽 팀에서 Marble ray 30마리 떼거지를 사진으로 찍어오고, 뱀상어 (Tiger shark)의 동영상도 대박으로 찍어왔다. 첫날부터 다들 흥분에 들떴는데, 막상 다음 다이빙에서도 우리 팀은 다른 쪽 팀에서 본 그런 장면을 보지 못해서 커진 기대감만큼 실망도 깊어져 버렸다. 멀리 보이는 귀상어 (Hammerhead shark) 서너 마리의 그림자만으로 내일 다이빙에 대한 기대감을 맘 속에 품는 것으로 위안을 삼아야 했다.


keyword
매거진의 이전글그 섬에 가기 위해 필요한 시간, 78시간