잡어미학3, 밧또

바다와 식탁을 기록합니다

by 하리

고고한 달그림자가 은은하게 퍼지는 한 폭의 그림 같은 옷을 입고 태어났다.

그렇게 곱게 차려입었는데도 뭐가 그리 못마땅한지, 입은 늘 삐친 아이처럼 퉁명스럽게 다물고 있다.

지느러미는 마치 호위무사의 창처럼 길고 날카롭게 무장해서 은은한 달그림자를 지키려 하는 것 같다.


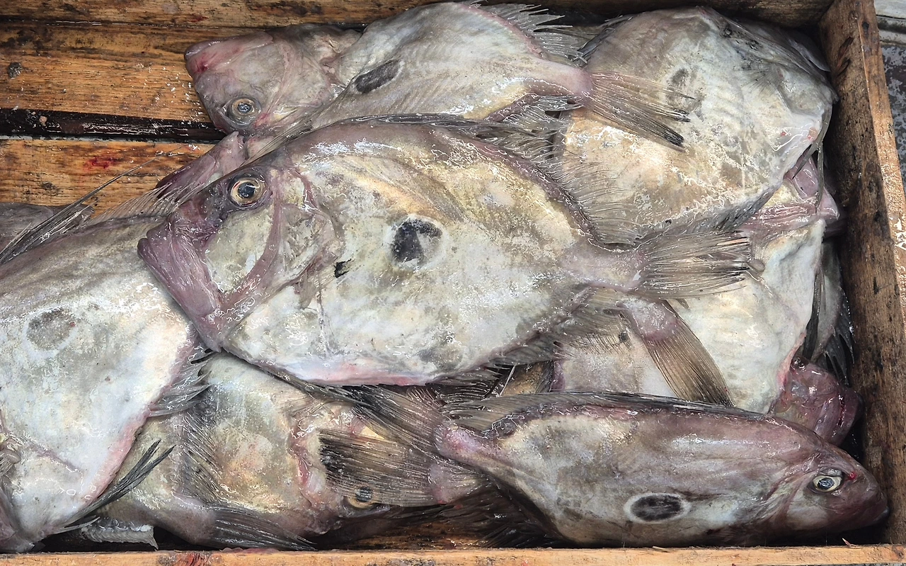
어류도감의 살아있는 모습을 보면 예쁜데, 상자에 누워 있는 모습만 보면 그리 예쁜 생선은 아니다.

몸에 있는 검은 점이 달을 닮았다 해서 달고기라는 이름을 얻은 것 같다.

검은 점과 청회색의 은은한 옷을

입은 달고기지만, 말 그대로 잡어일 뿐이다.

우리 부산에서는 달고기를 ‘밧또’라 부른다. 밧또는 일본명 마토우다이의 방언인데, 일본과 가까운 부산이라 그 영향이 컸던 모양이다.

일부 지방에서는 ‘허너구’라 불린다고 한다.


달고기와 똑같이 생겼지만, 은빛 도금이라도 한 듯 온몸을 은색으로 치장한 달고기를 우리는 ‘허너구’라 했고, ‘개밧또’라고도 불렀다.

살구를 개살구로 구분해서 부르는 것과 같은 맥락이다.

어릴 때 어른들이 이 은색의 밧또를 “개밧또”라며 발로 툭툭 차던 기억이 생생하다. 실제로 내가 먹어봤지만, 생선살의 식감이나 맛이 밧또보다 못했으니 아쉽게도 “개”라는 접두사가 붙어 잡어 중의 잡어로 취급당했다.


어느 날 요리하는 후배가 전화로 물었다.

“형님, 생선까스 할려면 어떤 생선이 좋습니까?”

생선까스는 우리 시대의 말이다. 요즘은 일본어로 ‘생선카츠’라 하지만, 그 생선카츠의 왕이 바로 이 달고기다. 흰살 생선이 다 그렇듯 이 달고기도 부드러운 단맛이 강하다.


우리는 어떤 요리에서나 ‘담백하다’는 표현을 곧잘 쓰지만,두께 7mm로 썰어 놓은 달고기 선어회를 먹어보면 담백하다는 게 어떤 맛인지 알 수 있다. 아이보리의 포근한 색감과 부드러운 단맛이 담백함의 절정이다.

생선카츠는 두말할 것도 없고, 구이·스테이크·선어회로 좋은 생선이다. 명절 음식이나 제수용 생선전으로 퀄리티를 자랑하기도 한다.


또한 이 달고기의 간은 바다의 푸아그라라는 아귀의 간만큼 고소하지는 않지만, 미식가들의 입맛을 돋우는 일식집 내장탕에 꼭 들어가야 할 만큼 인기가 좋다.


다만 이 달고기의 아쉬운 점은 가수율이 많지 않다는 점이다. 머리가 크고 몸집이 납작하며 내장부위가 차지하는 비율이 많아 먹을 수 있는 살(필렛)은 3~40%밖에 되지 않는다.


하지만 안타깝게도 이 달고기의 어획량도 예전만 못한 모양이다.

어디 예전만 못한 게 달고기뿐일까. 바다가 생명력을 잃고 있어 바다에서 얻을 수 있는 좋은 영양들이 빠르게 줄어들고 있다.


생태 복원은 하루아침에 되는 게 아니다. 나 하나만의 일도 아니고 10년, 20년 장기 계획으로 관리·유지해야 할 중요한 과제이니 만큼 우리 모두 바다의 생명을 살리는 일에 적극적인 관심과 실천이 필요하다.


비록 잡어라는 서러운 이름이지만, 우리 식탁을 풍성하게 하고 영양을 돕는 고마운 이 생선들이

환경이라는 또 다른 균형을 생각하게 한다.

작가의 이전글우리는 만나지 않았지만 나는 이별했다