brunch

2030 역세권 청년주택 사업

소셜디벨로퍼그룹 1호의 탄생 01

by 신선생

앞선 두글은 ‘앞으로’ 사회적으로 필요하지만 아직 시작하지 않은, 즉 진행예정 사업이고, 오늘 글을 쓰는 역세권청년주택 사업은 현재 2년간 진행중입 사업입니다.


서울시에서 진행하는 ‘2030 역세권 청년 주택 사업’은 몇가지 조건을 충족하면 용적률, 종상향, 규제완화, 금융지원등 사업자에게 로또(?)와 같은 혜택이 있는 사업입니다. 일반인은 잘 모를 수 있는데, 부동산을 알거나 조금만 공부한 분들에게 ‘종상향’ 자체 만으로도 로또 같은 혜택입니다. 이러한 혜택이 있어서 몇가지 조건이 있는데 역기준 300미터 안에 있는 토지가 필수 대상이고, 인근에 종상향 할 토지가 있어야하며(혹은 노선 상업지) 최소~면적기준 등이 있습니다. 또 종상향이나, 용적률 완화받는 만큼 일정부분 서울시에 기부채납을 해야 합니다. 관련 사업링크 걸어 둡니다. ->


신에게는 12개의 법인이 있습니다.

마침 피벗을 고민하던때 자산화, 사회주택 사업을 하던 저에게는 위 사업은 기회라고 느껴저 서적, 사례, 자문위원등을 찾아가며 스터디 하였고, 2020년 초에 위 사업이 가능 한것으로 판단하여 사업파트너들을 모으기 시작 합니다. 그 당시 신촌, 이대, 망원동, 불광역 등을 예비 사업 대상지로 검토하고 있었습니다. 토지가격만 최소 300억 이상되는 곳들이라 투자자 혹은 공동사업으로 처음부터 설계를 했습니다. 업종 상관 없이 친분이 있는 주변 대표님들에게 사업을 설명하고 참여 할 것을 독려 하였습니다.

신선생 ㅎㅎㅎㅎㅎ 사업 설명
친분 있는 주변 대표님들 상대로 사업설명회
최종 참여를 결정한 12개 법인 대표님들

2020년 6월부터 모집을 시작하였고 최종적으로 ‘소셜 디벨로퍼 그룹 1호’ 가 2020년 12월에 설립 됩니다.

시행사인 자리를 제외하여 12개 회사가 출자금 각 100만원, 총 1200만원 자본금으로 익명투자 조합 법인을 설립 하였고(SPC) 이사회(5인)와 대표(김용일)를

선출하였습니다.

소셜디벨로퍼그룹 1호 이사회 : 컨셉샵 ㅎㅎㅎ

그렇게 2021년 시작과 함께 법적으로 설립된 소셜디벨로퍼그룹1호(주)와 시행사 자리(주)는 대현동 ‘2030 역세권 청년주택 사업’을 더욱 진지하게 진행하게 됩니다.

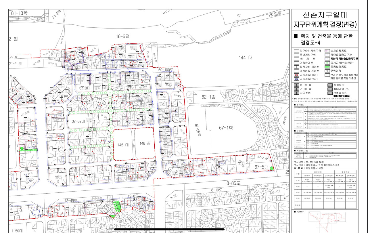
예비 사업지중 가장 눈에뛰는 곳은 신촌 -이대 일대였습니다. 이곳은 원래 잘 놀던(?) 동네라 사업에 대한 ‘수지분석’을 하기가 편했고, 이대 정문 바로 앞 이라는 랜드마크(?)가 될 위치, 그리고 언덕토지 초입이라 매력적이 곳이 였습니다.

*언덕토지 초입의 이점은 건축물 대상 상 지하1층이 메인 도로(도보)일 경우 용적률 적용 없이 한층을 더 만들 수 있음

사업지를 확정하고, 기초 도면의뢰를 하고 그 다음으로 신뢰 할 수 있는 지주작업을(:토지를 매입하기 위히 위한 행위) 해줄 분을 찾는것이였습니다.

지주 작업을위해 부동산중개사무소나 ‘부동산 전문가’ 라는 분을 소개받거나 만나뵙는데 어처구니 없는건~ 지구단위 계획이 뭔지도 모르는 분들을 종종 봅니다. 대부분 주거용 부동산중 아파트의 거래를 조금 해본 분들이 부동산 전문가라고 하는데(전 국민 대다수의 관심사니까) 제가 하는 일과 지주작업은 완전히 다릅니다. 그분들은 최하단 소비자층에서 주거용 부동산을 조금 아시는 분들이라면 제가 하는 일은 최상단 공급하는 입장에서 부동산을 바라봐야 합니다.

간단히 용적률, 건페율, 고도제한, 개발행위 제한, 일조사선, 환경, 교통 등등의 인허가 과정 관점으로 부동산 가치를 평가 합니다.

(그 후 금융, 매매, 임대 등등의 과정이 있지만…)

이처럼 저를 대신하여 지주(예비 매도자)를 만나 협상, 설득 해야 하기에 굉장히 중요한 일인데 몇번의 실패후 저는 정말 운이좋게도 토지 개발에 대한 경력이 있고 신뢰 할 수 있는 중개인을 만나게 됩니다.

주상복합 모델, 레벨은 높이를 나타냄

초기 도면도 나왔고 지주 작업이 시작 되었고 이제 ‘돈’만 있으면 되는데 가장 중요한 돈이 없었습니다.

예상 토지지용 : 400억 내외
예상 공사비용 : 300억 내외
예상 간적공사비용 : 100억 내외
예상 기타비용 : 150억 내외

비용 규모만 약 950억 정도인데 12개의 법인 출자금은 1200만원 이였고 시행사인 자리(주)도 10년간의 카페사업으로 매년 빚만 늘고 자본잠식으로

위 사업을 꿈꾼다는것 자체가 미친짓이였지만 -

ㅎㅎㅎㅎㅎㅎ

SPC 설립 위해 주변 대표님들 모으고~ 그 바쁜 대표님들 모아 사업계획 설명하고 12개의 법인을 설립한 이유가 PI(Principal Investment) 자금이 필요했기 때문입니다.

보통 개발 사업에서 전체 사업비의 10~20%를 자기자본(에쿼티 - Equity)으로 되고 나머지는 80~90%는 PF대출(Project Financing)을 합니다.


즉 1,000억 사업이라고 치면 100억(10%를 자기자본)과 900억(90%)을 대출 받아 사업을 진행하고, 매각, 분양 등으로 대출금을 상환하는 것이 보통 시행 방식 입니다. 그런데 위에서 10%인 이 자기자본 100억을 대출 받거나 투자 받는걸 보통 PI론 이라고 합니다.


1,000억 사업이라고 해도 실제 자기자본이 없거나 적더라도 불가능 한것은 아니고 공동사업으로 지분을 나눠주거나 연100% 이상의 고금리로 배당을 해준다면 불가능 한것은 아니였다고 판단 했습니다.

* 물론 사업성이 엄청 좋아야함. 그래야 가장 위험한 사업초기에 PI 론, 투자 등이 들어옴. 그래서 이대정문 바로 앞 토지를 선택(입지, 서비스 용적률 등)

18~20년중 최고 연 매출 겨우 20억 됐나? 아주 작은 회사 였지만 설계부터 계획이 다 있었습니다.

SPC자본금은 1200만원 이였지만 2021년 6월 까지 20억 출자를 약속했고 전체 토지비 약 400억의 1%인 4억으로 9개 필지를 계약 가능하다고 판단해서 그땐 사업이 쉽게 진행 될줄 알았습니다.


그 러 나 … 삶은 늘 계획대로 되지 않죠. …


인스타 : ocean.shin

이메일 : ceo@zarigroup.com


keyword
작가의 이전글내건내장 : 내건물에서 내장사 하기