brunch

존과 지니의 플로리다 스쿠버 다이빙 여행 7

키 웨스트 - 샌드 키(Sand Key)

by 존과 지니

2019년 2월 1일


키웨스트에서의 2일 차다. 오늘은 어제 예약해둔 오후 스쿠버 다이빙을 한다. 시간도 많으니 느긋하게 아침 식사를 한다. 호스텔의 아침 식사는 매우 간단하지만 안 주는 것보단 훨씬 낫다. 샌프란시스코의 호스텔보단 그래도 충실한 아침 식사다. 거의 두 배는 비싼 만큼 조금이라도 나은 게 있어야지.


키 웨스트에서는 길거리 여기저기에 닭들이 돌아다니는데 호스텔 안에도 닭 일가족이 산다. 아침 식사 시간을 놓칠 녀석들이 아니다. 빵 부스러기라도 하나 떨어지면 먹으려고 난리다.


다이빙은 점심에 시작하니 느긋하게 쉬다가 다이빙 센터로 가야 한다. 키 웨스트 안쪽은 주차요금이 비싸고 주차할 곳도 많지 않다. 호스텔에서 다이빙 센터까지 그리 멀진 않으니 다이빙 장비를 챙겨서 걸어간다. 다이빙 장비를 최대한 정리하면 각자 배낭 하나에 딱 들어간다.


다이빙센터에서 오늘 다이빙 요금을 결제하고 배가 있는 곳까지 간다.


우리가 탈 보트는 하얏트 리조트 안의 보트 선착장에 있으니 배를 타려면 리조트를 관통해야 한다.


리조트 안 통로 옆에는 앵무새와 거북이들도 있다.


우리가 타고 갈 배가 보인다. 조금 일찍 왔더니 아직 출발 시간이 안 되어 좀 기다려야 한다.


느긋하게 기다리는데 배가 좀 허하다. 아침을 적게 먹었나 보다.


리조트 안의 바에서 빠니니를 팔길래 하나 포장 주문한다. 한 30분 가까이 기다려서 출발 시간이 다 되어서야 주문한 빠니니가 나왔다. 지니님이랑 한쪽씩 먹는다.


오늘 함께 다이빙하는 미국 아저씨가 우릴 보더니 멀미약을 나눠준다. 고맙게 받아서 배에 타기 전에 먹어둔다.


배는 키 웨스트 북쪽에서 출발해서 남쪽으로 키웨스트를 빙 돌아서 달린다.


키 웨스트가 거의 안 보일 만큼 멀어질 때쯤, 키 라르고 몰라세스 리프에서 보던 것과 거의 비슷하게 생긴 탑이 보인다. 키 웨스트의 샌드 키 라이트 하우스(Sand Key lighthouse)다.


이 샌드 키 라이트하우스 근처가 키 웨스트에서는 가장 좋은 스노클링, 다이빙 포인트라고 한다.


준비 후에 입수한다.

2019년 2월 1일 Dive log #27
최대 수심 12.7m
평균 수심 7.4m
수온 21°C
입수 시간 14:08
출수 시간 15:00


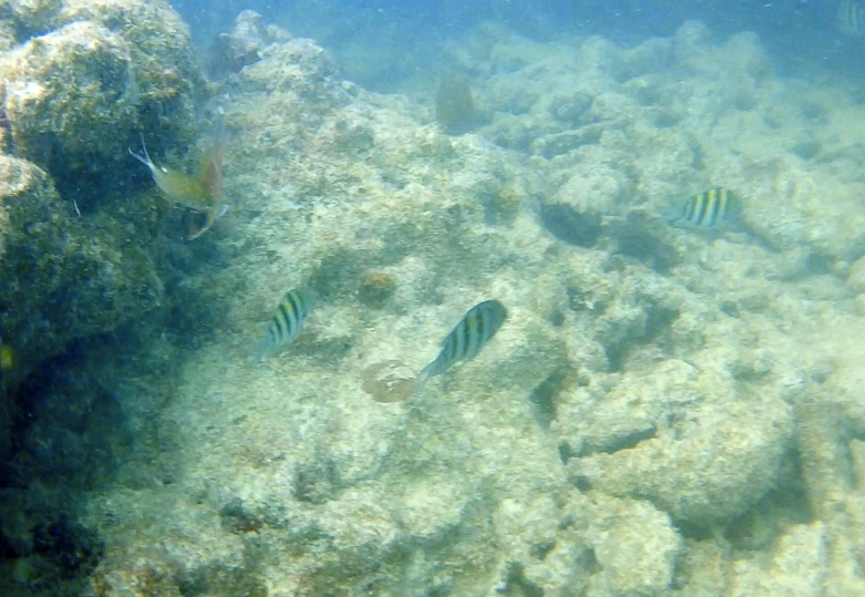
물에 들어갔다가 깜짝 놀랐다. 어마어마한 부유물 때문에 흡사 막걸리 안에 들어온 것처럼 아무것도 안 보인다. 지니님과 나 그리고 버디 아저씨, 이렇게 세 명이 들어왔는데 조금만 멀어져도 사람이 안 보인다. 여기가 정말 제일 좋은 포인트인지 의문이다.


조금 돌아다니다 보니 부유물이 심한 곳도 있고 조금 적은 곳도 있다. 물고기나 산호는 상당히 많으니 시야만 좋았으면 멋진 곳일 듯하다.


뇌산호 한 덩어리에 크리스마스 웜들이 여럿 살고 있다.


커다란 스펀지 튜브들도 자주 눈에 띈다.


이 동네는 랍스터도 흔하다. 이 녀석들은 큰 집게발이 없는 가시 랍스터(Spiny lobster)들이다.


지니님이 스펀지 튜브 속에서 무언가를 발견했다.


튜브 코랄 속에 랍스터가 한 마리 살고 있다.


시야가 조금만 좋았어도 훨씬 볼만했을 텐데...

50분 정도의 다이빙을 마치고 출수해서 30분 정도 휴식한다.


이제 2번째 다이빙.

2019년 2월 1일 Dive log # 28
최대 수심 6.2m
평균 수심 4.1m
수온 22°C
입수 시간 15:34
출수 시간 16:10


물 위는 이렇게 화창한데...


물속은 뿌옇다. 시야는 안 좋아도 물고기는 많다.


비늘돔 종류도 여럿 보고

이것저것 구경하다가 시야가 더욱 안 좋아져서 연기처럼 뿌연 곳으로 들어가게 되었다. 앞에 가던 버디 아저씨는 혼자 앞장서서 어디론가 가버려서 보이질 않는다. 물 위로 올라가서 위치를 확인하고 찾으러 갔는데 시야가 안 좋다 보니 중간에 엇갈려서 결국엔 조금 일찍 물 밖으로 나온다.


다이빙이라는 게 바닷속 상태가 들어가 봐야 알 수 있는 만큼 이렇게 시야가 나쁜 날도 걸릴 수 있다. 지난 필리핀 세부의 날루수안 다이빙에서도 시야가 그리 안 좋아서 중간에 일행을 놓치고 하루 다이빙이 홀라당 망한 경험이 있으니 이번에도 운이 좀 나빴으려니 싶다.


다이빙을 마치고 내일 다이빙을 예약한다. 오늘 시야가 안 좋았다고 내일도 안 좋지는 않겠지. 숙소로 돌아오니 벌써 어둑어둑하다. 다이빙 장비는 간단히 씻어서 숙소에 두고 저녁 먹으러 나온다.


어제 시내 구경하다가 들러서 스시를 사간 식료품점 앞의 식당을 지니님이 눈여겨봐 두었다.


식당은 이미 사람들로 만석이니 대기 예약을 걸어둔다. 핸드폰 번호를 알려달라는데 로밍도 안 한 핸드폰 번호 알려줘 봐야... 그냥 근처에 있겠다고 했다. 2팀 정도 기다리니 우리 차례가 왔다.


애피타이저로 참치 포케를 시켰더니 쥐꼬리만큼 나왔다. 이걸 누구 코에 붙여...

하와이에서 실컷 먹었던 참치 포케가 그립다.


지니님은 생선살을 올린 링귀니를 주문하고


나야 비슷한 가격이면 고기... 스테이크를 주문했다. 이거도 양이 적다. 감자를 곁들여도 뭔가 허전하다.


저녁 먹고 간단히 산책 삼아서 키 웨스트의 거리를 걷는다. 플레밍 스트릿을 따라 걸으니 마일 제로 마커도 보이고...


키 웨스트 예술과 역사박물관 (Key west art&historical museum) 앞에 만화에 나오는 괴물 같은 것이 있다. 키 웨스트 예술과 역사박물관은 이름 그대로 예술 분야가 역사 분야를 전시해놓은 곳이라고 한다.


키 웨스트 아쿠아리움 앞에는 귀상어(Hammerhead)의 모형이 있다. 상어 종류의 코 부분에서 다른 생물의 생체 전류를 감지하는 로렌치니 기관이 발달하면서 이런 특이한 형태로 진화하였다고 한다. 튀어나온 눈 덕분에 시야가 거의 360도에 이르고 운동 신경이 발달하였다고 하는데 샥스핀이나 돔배기로 먹기에 가장 맛있는 상어라고 한다.


난파선 박물관은 밤에 보니 더욱 분위기가 살아나는 듯하다.


어제 일몰 시간에 그렇게 사람이 붐비던 말로리 광장도 지금 시간에는 조용하다.


하와이만큼은 아니지만 밤하늘에 별도 많다. 앞에 두 섬은 선셋 키(Sunset Key)와 위스테리아 섬(Wisteria Island)다. 선셋 키에는 리조트 같은 것이 있는지 섬 전체가 비슷비슷하게 생긴 집으로 빼곡하게 들어차 있다.


쿠바와 가까워서 그런지 쿠바 커피를 파는 곳도 있고 스티커가 잔뜩 붙은 변압기도 화려하다. 숙소로 돌아가는 길의 모든 것이 키 웨스트스럽다.


오늘의 다이빙은 막걸리 속을 헤엄치는 느낌이었다. 스쿠버 다이빙이란 것이 자연 속에 들어가는 것인 만큼 날씨나 조류 등의 영향을 많이 받는다. 키 웨스트에서 가장 자주 가는 다이빙 포인트라니 시야가 좋을 때는 나쁘지 않을 것 같다. 내일은 키 웨스트의 유명한 다이빙 포인트인 반덴버그로 다이빙한다.

keyword
매거진의 이전글존과 지니의 플로리다 스쿠버 다이빙 여행 6