흉년의 먹을 거리, 상수리와 도토리

상실橡實, 곡실槲實

by 경인

예부터 참나무 도토리는 흉년에 먹을 거리를 제공하는 구황식물로 중요하게 여겨졌다. 비록 <장자>에서 쓸모가 없어 장수를 누리는 대표적인 나무로 상수리나무(櫟)가 등장하지만, 특히 상수리나무는 열매를 식용할 뿐 아니라 숯의 재료로도 쓰여서 여간 요긴한 나무가 아니다. <본초강목>에도 상실橡實과 곡실槲實이 실려 있는데, 간략히 살펴보면 다음과 같다.


“상실橡實. 상두橡斗, 조두皂斗, 력구櫟梂, 력목자櫟木子이다. 곡槲과 력櫟은 모두 도토리가 있지만, 櫟을 더 좋은 것으로 친다. … 숯을 만드는 데는 다른 어떤 나무보다도 좋다. ... 곧槲도 도토리가 있지만 작아서 력櫟에 미치지 못한다. … 4,5월에 밤꽃과 같은 꽃이 피는데 황색이다. 여지荔枝 씨와 같은 열매를 맺는데 뾰족하다. 꼭지에 깍정이(殼斗)가 있어서 열매를 반 즈음 감싼다. 그 씨는 연밥의 살과 같은데, 산에 사는 사람들이 흉년에 채취하여 먹을 거리로 여기고 어떤 이는 빻아 물에 담그고 가루로 만들어 먹는다. 풍년에는 돼지를 살찌울 수 있다.*”


상수리나무열매-20140831-안동.jpg 상수리나무 익어가는 열매 상수리, 2014.8.31 안동


“곡실槲實. 곡속槲樕, 박속樸樕, 대엽력大葉櫟이다. … 곡속槲樕은 곡속觳觫과 마찬가지이다. 곡槲 잎사귀가 흔들리는 것이 ‘무서워서 부들부들 떠는(觳觫)’ 모습이므로 곡속槲樕이라고 했다. 박속樸樕이라는 것은 바람에 일어 이리저리 흔들리는 모양인데, 그 나무가 크고 잎이 무성하기 때문이다. 속칭 옷차림이 단정하지 않은 것을 박속樸樕하다고 하는데 이것에서 비롯되었다. … 곡槲은 … 력櫟과 더불어 비슷한 종류이며 도토리도 있지만 작아서 쓸만하지 않다. 숯을 만들어도 력櫟에 미치지 못한다. … 그 열매는 딱딱하고 떫으며 맛이 나쁘지만 흉년에는 사람들도 먹는다. 그 나무 결이 거칠어서 상수리나무(橡木)보다 못하며, 이른바 저력지재(樗櫟之材)는 이것을 가리킨다.**”


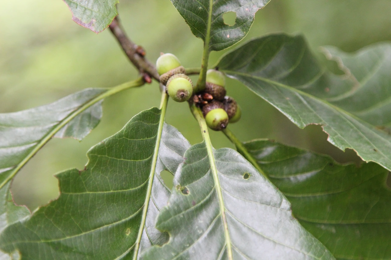
떡갈나무열매-20140831-안동.jpg 떡갈나무 도토리, 2014.8.31 안동


문헌을 상고해보면, <본초강목>의 상橡과 력櫟은 상수리나무(Quercus acutissima Carruth.)이고, 곡槲과 박樸, 박속樸樕은 떡갈나무(Quercus dentata Thunb.)이다. 본초강목의 위 설명을 보면, 상수리나무 도토리가 떡갈나무 도토리보다 더 크고 맛이 좋으므로 구황식물로 더 적합하고, 숯을 만들어도 상수리나무가 더 좋다. 정약용의 <아억각비>에 참나무와 가나무에 대한 흥미로운 구절을 있는데, 이와 관련이 있는 듯하다.


“우리나라 민간에서 느닷없이 곡두槲斗를 ‘가나무 열매(檟實)’[우리말로 가나무(假南于)]라고 하고, 산핵도山核桃를 추자楸子[우리말로 가래나무(加來南于)]라고 한다. 내가 그 까닭을 생각해보니, 옛날 민간에서 상수리나무(橡)를 진목眞木[참나무(參南于)], 떡갈나무(槲)를 가목假木[가나무(假南于)]이라고 말했는데, 곡두槲斗를 상두橡斗와 비교하여 비슷하지만 같지 않음을 이른 것이다. 가假와 가檟는 소리가 서로 가까웠으므로 와전되어 이에 이르렀다. 추자楸子라는 이름은 전혀 증빙할 만한 데가 없다.*”


신갈나무도토리-IMG_1136-20200808창경궁.JPG 신갈나무 도토리, 2020.8.8 창경궁


즉 우리나라 조상들이, 식용을 위해 도토리가 더 크고 더 좋은 숯을 만들 수 있느 상수리나무를 ‘참나무’, 이와 비슷하지만 품질이 못한 떡갈나무를 거짓 참나무라는 의미로 ‘가나무’로 불렀던 듯 하다. 이를 반영하듯 <동의보감> 탕액편을 보면, 상실橡實은 ‘굴근도토리’로, 곡약槲若은 ‘조리참나모닢’으로 한글 설명을 달고 있다. 즉, 상橡은 굵은 도토리가 열리는 ‘참나무’, 곡槲은 도토리가 작은 ‘조리참나무’인데, 이 ‘조리참나무’가 <아억각비>에서 ‘가나무’로 표현된 것일 것이다. 보통 상수리나무와 굴참나무 도토리가 크고 튼실하므로, 이 나무를 참나무로 보고, 참나무 열매를 상수리(橡實)로 봤을 가능성이 크다. (내가 자란 산골 마을에서도 상수리나무와 굴참나무 2종을 주로 ‘참나무’로 불렀고, 떡갈나무나 신갈나무 등은 ‘참나무’로 부르지는 않았다.)


갈참나무도토리-IMG_1591-20200830청계산.JPG 갈참나무 도토리, 2020.8.30 남한산성


참고로, <훈몽자회>에서는 곡槲을 ‘소리참나무 곡’, 상橡을 ‘도토리 샹’으로 설명했는데, 이우철의 <한국 식물명의 유래>를 보면 ‘가나무’를 “떡갈나무의 황해 방언”, ‘소리나무’를 물참나무와 졸참나무의 제주방언으로 설명하고 있다. 제주방언의 ‘소리나무’가 훈몽자회의 ‘소리참나무’와 상관관계가 있을 것도 같고, ‘소리참나무’와 ‘조리참나무’가 졸참나무(Quercus serrata Murray)의 어원일 가능성도 있다.


졸참나무열매-20170817-봉화.jpg 졸참나무 도토리, 2017.8.17 봉화


이후 이 글자들은 <자전석요>와 <한선문신옥편>에 곡槲은 “떡갈나무 곡”, 상橡은 “상수리 상”으로 나오고, <한일선신옥편>에도 곡槲은 “도토리나무 곡”, 상橡은 “상수리 샹”으로 나오며, 현대의 <한한대자전>에도 곡槲은 “떡갈나무 곡”, 상橡은 “상수리 상”으로 설명되어 있어서 일관성 있게 바르게 설명하고 있다.


벌써 십여년 전, 지금은 독립한 큰아이가 어렸을 때 고향 집에 갔다가 근처 청량산에 오른 적이 있다. 청량산의 최고봉인 장인봉 인근에 도토리가 엄청나게 많이 떨어져 있어서 큰아이와 함께 금방 한 되 정도를 주웠다. 채집생활의 기억이 유전자에 각인되어 있는 것인지, 흉년이 아닌데도 도토리를 주우면서 아주 즐거워했다. 이때의 추억을 떠올리며, 유호인(兪好仁 1445~1494)이 청량산의 도토리를 읊은 시 한 수를 감상한다.


굴참나무도토리-IMG_1403-20200821남한산성.JPG 굴참나무 도토리, 2020.8.21 님힌산성


화산십영 중에서 - 花山十詠


瞻彼淸涼山 저 청량산을 바라 보게나

山中多橡木 산 속에 참나무****가 많구나.

今年似去年 올해도 지난해처럼

離離實可拾 주렁주렁 달린 도토리 주울 만 하네

擧家負戴歸 온 집안이 지고 이고 돌아와

舂屑瓮中積 절구 찧어 가루 만들어 독에 쌓아두면

凶年豈殺余 흉년인들 어찌 나를 죽이리

猶可代粟粒 오히려 조밥을 대신할 만 하다네.


(끝 - 2019.2.12.)


*橡實. 橡斗 皂斗 櫟梂 櫟木子也 … 槲 櫟皆有斗 而以櫟為勝 … 為炭則他木皆不及 … 槲亦有殼 但小而不及櫟也 … 四五月開花如栗花黃色 結實如荔枝核而有尖 其蒂有斗包其半截 其仁如老蓮肉 山人儉歲采以為飯 或搗浸取粉食 豐年可以肥豬 (本草綱目 果部 橡實)

** 槲實. 槲樕 樸樕 大葉櫟 … 槲樕猶觳觫也 槲葉搖動有觳觫之態 故曰槲樕也 樸樕者 婆娑蓬然之貌 其樹偃蹇 其葉芃芃故也 俗稱衣物不整者為樸樕本此 … 槲 … 與櫟相類 亦有斗 但小不中用耳 為炭不及櫟木 … 其實僵澀味惡 荒歲人亦食之 其木理粗不及橡木 所謂樗櫟之材者指此 (本草綱目 果部 槲實)

*** 東俗忽以槲斗爲檟實[方言假南于] 山核桃爲楸子[方言加來南于] 余究厥由 古俗橡曰眞木[參南于] 槲曰假木[假南于] 謂槲斗比橡斗 似而非也 假與檟聲相近 故訛傳至此 楸子之名 絶無可憑 (雅言覺非 檟)

**** 橡木은 상수리나무이다. (다시 확인이 필요하지만) 청량산에 올라본 기억으로 굴참나무가 많았던 듯하고, 여기서는 도토리가 튼실한 나무를 뜻하므로 참나무로 번역해둔다.

+표지사진 - 떡갈나무 도토리, 2019.10.3 청계산

keyword