brunch

가자미 원정대

by 시냇물

지난주 큰딸네 식구가 속초집으로 오기 전 날 사위로 부터 카톡이 왔다.


고성에 대가자미가 터졌다며 낚시배에 두자리가 났는데 가자는 제안이었다. 솔깃했다.


비록 지난번 문어잡이에서 둘 다 허탕을 쳐 기다리는 온 가족들에게 조금 민망했지만 그 문어배의 추억이 새록새록 생각나기도하고... 그리고 격무에 시달리며 최애취미인 낚시를 학수고대하는 사위와 교감하기 위해서 ㅇㅋㅇㅋ 카톡답장을 훽 보냈다.


밤늦게 도착한 딸부부와 소줏잔을 기울이며 전의를 북돋우고 잠들기 전에 출항대비 귀미테를 붙이는 것도 잊지 않았다.


1월초 영상의 날씨지만 파도와 바닷바람이 예사롭지 않기에 나름 두툼한 옷을 입었다. 이른 새벽 고성 오호항에는 먼저 도착한 전사들이 두툼한 복장으로 어슬렁 거린다. 아낙들도 몇 명 보인다. 통성명을 해보니 모두 충청도 지역 낚시회원들이고 우리 둘만 빈두자리를 메우는 거란다. 그녀들의 말솜씨나 행동거지가 초보자가 아니다.


배정된 좌대는 좌현 뱃머리 부근이다. 노르망디를 정복하러 출정하는 바이킹의 기세로 바다를 주시하며 오호항을 떠난다! 항을 나온 배는 북을 향한다.


동이 트기까지 시간이 조금 남았고, 새벽 뱃길은 엄정하다. 내해를 벗어날수록 뱃전을 때리는 파도는 사납다. 북으로 북으로...한시간 가까이 간다.


북한 바다가 멀지 않은 듯! 동해안에서 군대생활하던 곳이 남방한계선 바로 아래 어로허용선(그 당시는 어로 저지선) 부근인데 바다에서 바라보니 식별이 잘 안된다. 하여튼 옛 추억을 상기하는 거진의 아침바다다.


주변에는 화려한 컬러의 낚시배들이 이미 여러척이 도착해 위세를 과시하고 있다. 멀리 해경선이 보이고...우리도 서둘러 전투준비를 한다.


문어 배는 두 개의 경적음이 규칙의 전부인데, 가자미 배는 추가된 선장의 맨트가 금싸라기 정보다. 특히 수심과 바닥 여부가 포인트! 옆에 있는 전사가 낚시바늘을 넣자마자 5마리가 주렁주렁 잡혀 나온다! 대박! 우린 주눅이 들었다. 안잡히면 어쩌나~~


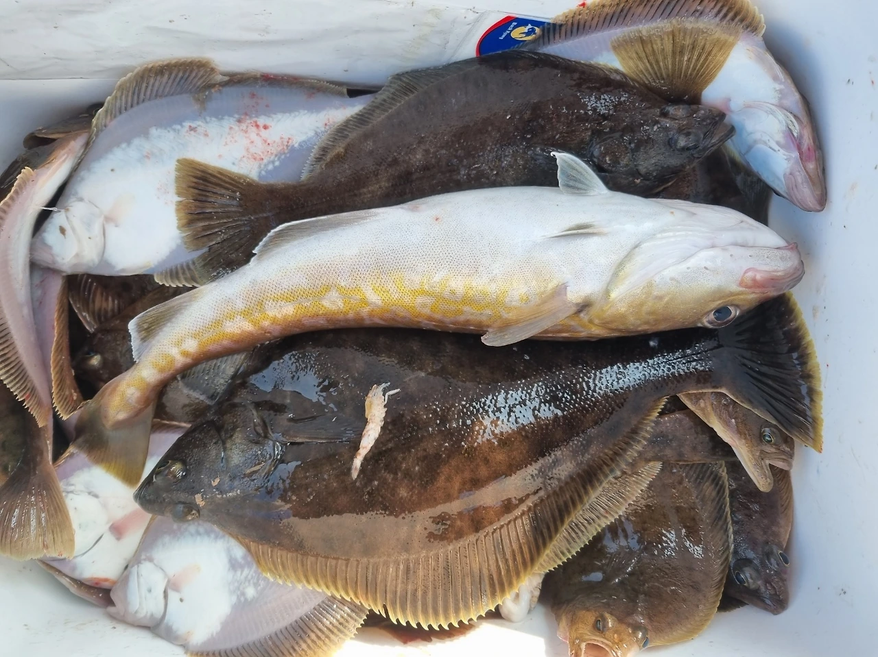
선장이 73m를 외친다. 부리나케 낚시의 수심을 맞춘다. 무슨 느낌이 있나 줄을 살짝 당겨보았지만 감이 없다. 혹시나 하고 당겼는데 이게 왠일인가? 제법 큰 가자미 세 마리가 내 낚시대에 주렁주렁~ 너무 흥분하여 한 마리는 놓쳤다.

선장이 수시로 어군을 탐지한 뒤 수심을 알려준다. 70m, 48 아니 53m, 67m, 85m 바닥! 여기저기서 전과물을 챙기기 바쁘다. 우리 낚시대에서도 제법 가자미들이 올라온다. 대구도 한 마리가 잡히고 가자미들이 계속 잡힌다. 낚시 밑밥통에 고기가 절반은 찼다. 마음이 한결 여유로워졌다. 주변 전사들을 돌아보니 모두 흡족한 표정들! 쏜살같이 시간이 흘러간다.


오후 한시 반이 넘자 행동들이 여유롭다. 그 마음을 아는지 선장이 마지막 콜을 보내자 모두들 철수 준비! 배를 돌아보니 베테랑들인 충청도 분들과 가자미 낚시 초자인 우리 성적이 별차이가 없어 보인다(벌써 교만해졌나?)


오호항에 배를 대니 세시가 넘었지만 만선이라 배고픈 줄 모르겠다. 선장이 알려준 식당으로 발길을 돌려 매운탕 한그릇을 후루륵 들고 행장을 챙긴다. 전과가 두둑하니 집으로 향하는 발길이 가볍다.


의기양양 13kg의 가자미 더미를 내놓자 모두들 존경의 분위기! 수렵채집생활을 하던 시절 가장의 자부심 같은 것을 느끼는 순간이다. 고기를 나누어 반은 서울집으로, 반은 속초집에~~어째튼 두번째 원정작전에서 호실적을 올린 두사람! 가자미 때문에 체면을 구기지 않았다. 피곤이 몰려오지만 통쾌한 하루다.

그 고마운 가자미는 ‘좌광우도’로 알려진 도다리(가자미)를 말하고 이곳 동해안에서 흔한 어종이지만 구이, 조림, 회, 국 등 용처가 다양하다.


특히 속초는 한국전쟁 때 피난와서 정착한 함경도 주민들이 즐겨먹던 가자미 식해가 유명하며 가자미 조림을 잘하는 맛집들도 여럿있다. 속초 중앙시장에 들려서 좌판에서 가자미 세꼬시를 쳐서 소주 한 잔 곁들여 먹는 것도 가성비 최고의 가자미 요리중 하나다.


광어와 가자미는 눈의 위치 때문에 진화론을 혼란스럽게 만들어 다아윈을 곤란하게 하였다 한다. 재미있는 과학 스토리다. 그 가자미 이틀을 먹었는데 아직도 조금 남았다. 다음엔 무엇에 도전할까?

* 세꼬시 : 생선을 뼈째 썰어서 회를 뜨는 방법이란 말로 일상에서 흔하게 쓰는 말이지만 일본어 잔재가 남아있는 말로서 표준국어 대사전에는 나오지 않는다.

keyword