Chapter 1 #1. 만남

by 전구슬
“병원에 지금 엄청 귀여운 아기 시바견이 왔는데... 한번 볼래?

하고 A는 한 장의 사진을 내밀었다(A는 수의 외과학 실험실 학부생이었다). 사진 속에는 ICU (intensive care unit, 집중치료실)의 작은 창에 가냘픈 얼굴을 빼꼼히 내민 채로, 궁금하다는 듯 밖을 바라보고 있는 아기 시바견이 있었다. “당연하지.” 필자는 궁금하거나 신기한 게 있으면 꼭 봐야 되는, 전형적인 ENFP 타입인데 이렇게 귀엽기까지 하다니 마다할 이유가 없었다. 하지만 그때까지만 해도 우리는 일개 학부생일 뿐이라, 실습 시간 이외에 자유롭게 대학 부속 동물병원을 출입하는 것은 어려운 일이었다. 또한 언제 어떤 환자가 올지 모르는 동물병원의 일정과 병원 구성원 분들의 분주한 발걸음 때문에 이를 피해 그 친구를 몰래 구경하기란 꽤나 어려운 일이었다. 한동안 기회가 날 때까지 막연히 기다리는 수밖에 없었는데, 기다림의 시간 동안 나도 모르게 두근거리는 기대와 궁금증은 쌓여만 갔다.

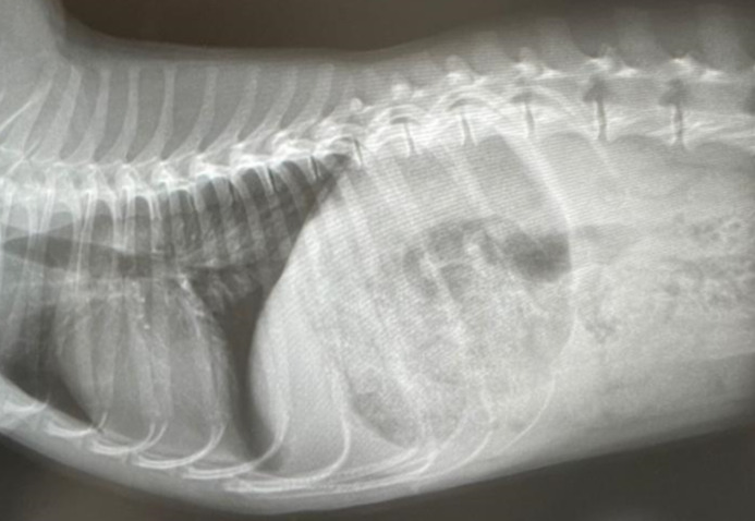
끝내 어떤 하루엔 궁금증을 참지 못하고, A의 도움을 받아 동물병원이 마친 후에야 아무도 없는 틈을 타(그때는 입원환자도, 응급진료도 없던 때라서) 처치실에 잠행했다(이것 조차도 A가 병원 실험실의 학부생이어서 가능했다). 이 시바견의 이름은 하쿠, 사진 속 딱 그 모습처럼 작고 가냘팠다. 영양 대사가 잘 이루어지지 않아서인지 앙증맞고 통통한 보통의 강아지와 같은 모습이 아니라, 그저 작고 야윈 새끼 여우 같았다. 평범하지 않은 모습으로 인한 신기함과 아기 강아지라는 귀여움에 빠진 것도 잠시, 이 친구가 선천성 항문 폐쇄증(anal atresia)으로 입원하여 수술을 기다리고 있다는 사실을 듣게 되었다.


선천성 항문폐쇄증이란 태어나면서부터 항문 없이 태어나는 기형이다. 따라서 정상적인 소화의 결과인 배변활동 또한 불가능한데, 항문을 재건하는 수술을 하지 않으면 배출되지 못하는 체내 독소가 쌓여 독혈증 및 합병증으로 죽게 된다. 한 번 봤을 뿐인데도, 마치 그 아이를 만난 것은 내 일생일대의 운명인 것처럼, 또는 이 일이 내 일인 것처럼 마음이 아파왔다. 하지만 그때까지만 해도 14년 반 동안 함께했던 내 가족, 내 동생, 방울이(강아지)가 죽은 지 얼마 되지 않았고, 충격과 슬픔이 너무 커서 다시는 개를 키우지 않으리라 다짐했었다. 때문에, 부디 이 안타까운 작은 강아지가 잘 수술받아 새로운 삶을 살 수 있기를 바랐지만, 훗날 나 자신이 이 똥강아지를 책임지게 될 것이라는 예상은 하지 못했다.

KakaoTalk_20211022_154448904.jpg 내원 당시 배출되지 못한 분변으로 가득 차 있던 하쿠의 작은 뱃속 상황

첫 만남 이후, 감감무소식으로 보낸 시간이 한 달쯤 흐른 후에, 그 아기 시바견이 아직도 처치실에 남아 있다는 소식을 들었다. 다행히 수술 후 항문은 생겼으나, 괄약근도 거의 없고 만성적으로 설사를 하는 등 배변 장애가 심해 온 케이지에 분변을 묻히고 있다고 했다. 당연히 이런 강아지를 데려가려는 사람은 아무도 없었다. 반려하기엔 너무나 부담스러운 조건이었던 것이다.


그러나 나는 성격적으로는 예민하지만, 강아지똥에 대해서는 관대함을 가지고 있다고 자신했다. 14년 반 동안 방울이를 키운 내공이 있을 거라 자만했던 탓일까. 큰 개라면 모르겠지만 작은 강아지의 똥이야 어딘가로 튄다 해도 다시 두 손가락 끝으로 가볍게 집어 올려 변기에 던져버리면 되는 것 아닌가.


하지만, 나는 똥칠을 한다는 것에는 철저히 무개념이었던 것이다. 걱정스러운 마음에 다시 한번 병원에 잠행해 보니, 입원장에 온통 똥칠을 해놓은 하쿠의 모습은 정말이지 아뿔사였다. 대개 사각 큐브 같이 생긴 입원장은 언제든지 환자를 살펴볼 수 있도록 바깥 한쪽면은 투명한 유리문으로 닫혀있다. 그런데 그 사이 항문이 생긴 하쿠는 케이지 안과 유리문 안쪽 모두에 한바탕 진흙탕 싸움을 한 듯 똥을 묻혀놓았다. 그 똥들은 일반적인 분변 덩어리라기보다는 엎질러진 물 또는 처치곤란인 죽 같았고 지독한 냄새가 나는 터라 상당히 견디기 불편한 상황이었다.


당장에라도 입원장을 깨끗이 닦아주고 싶었지만 하쿠는 시도 때도 없이 똥이 흐르고, 튀고 하니 깨진 독에 물을 붓는 것처럼, ICU는 항상 더러워질 수밖에 없었다. 하쿠도 냄새나는 똥이 이리저리 튄다는 사실에 스트레스를 받은 듯 한껏 사람들을 경계하는 모습이었다.


귀여움과 더러움이 공존하는 그 모습을 보고 있자니, 머릿속이 혼란스러워졌다. 이내 강아지 똥에 대한 관대함이나 하쿠의 귀여운 모습에 대한 감탄은 사라지고, 나 또한 어찌할 바 없이 이 작은 강아지는 이제 어떻게 사나 하는 걱정에 사로잡힐 뿐이었다. 아무리 머리를 굴려 보아도 이렇게 똥을 줄줄 흘리는 개를 데리고 살 사람은 없을 것 같았다.



이전 01화예고편